← Adur & Worthing Councils

Status

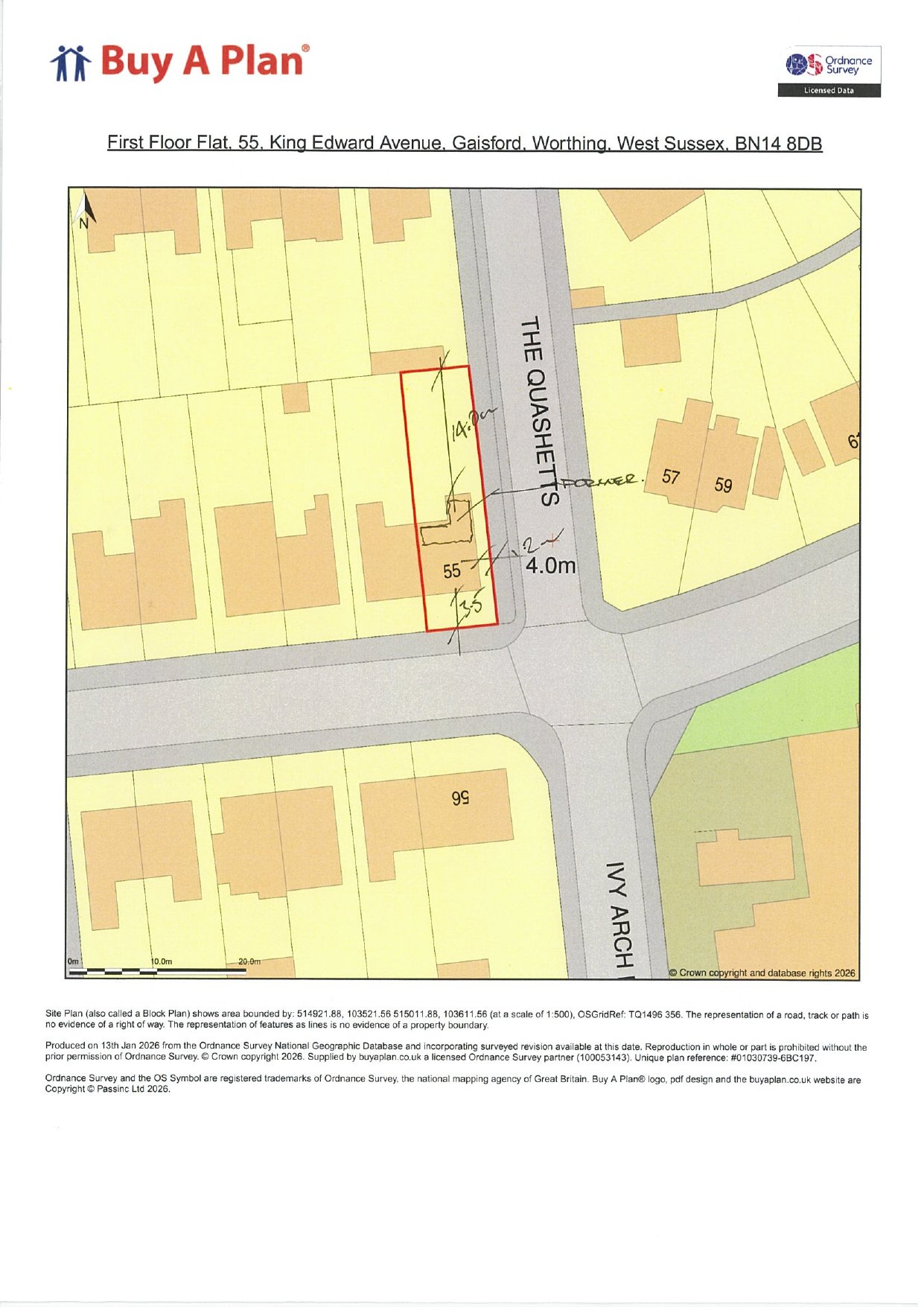
Registered House extension
Received
13 Nov 2025
New homes
0

Full proposal

Loft conversion including rear dormer and front roof lights

Documents

Application Form
Archived · Original link
Site Location/Block Plan
Archived · Original link
Latest plan
Archived · Original link
Site Location/Block Plan
Archived · Original link
Neighbours Notified
Archived · Original link

Have your say

Your comment matters. Councils must consider every representation that raises material planning considerations.

Write a comment