← London Borough of Barking and Dagenham
26/00293/HSE
London Borough of Barking and Dagenham
Status
Pending
House extension
Received
Not recorded
New homes
0
Full proposal
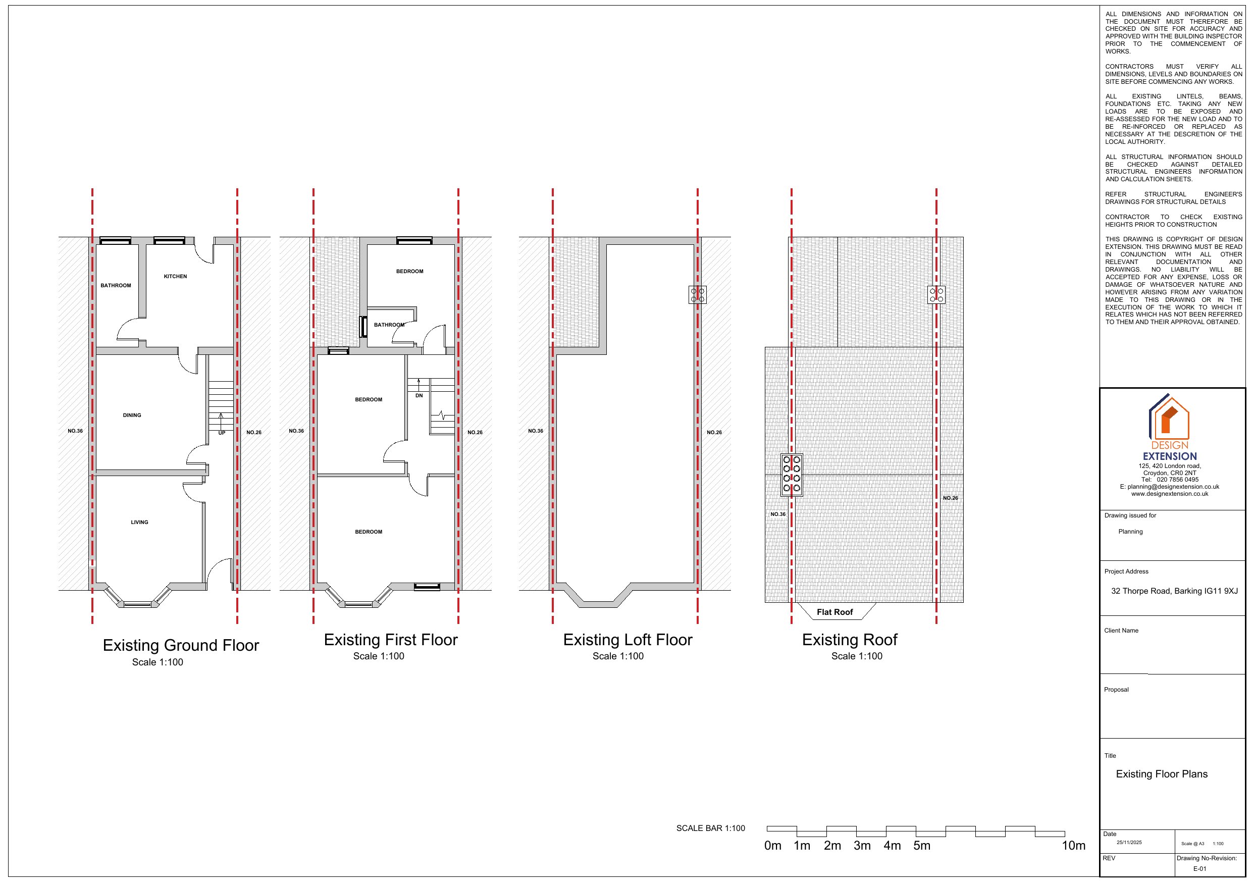
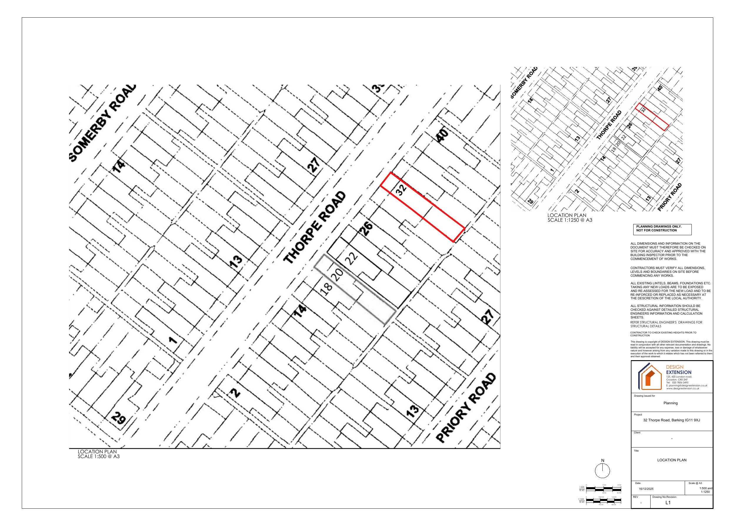
Construction of a single storey rear extension and an L- shaped rear dormer extension including three roof lights to the front to facilitate conversion of roof space into habitable accommodation
Documents
Have your say
Your comment matters. Councils must consider every representation that raises material planning considerations.