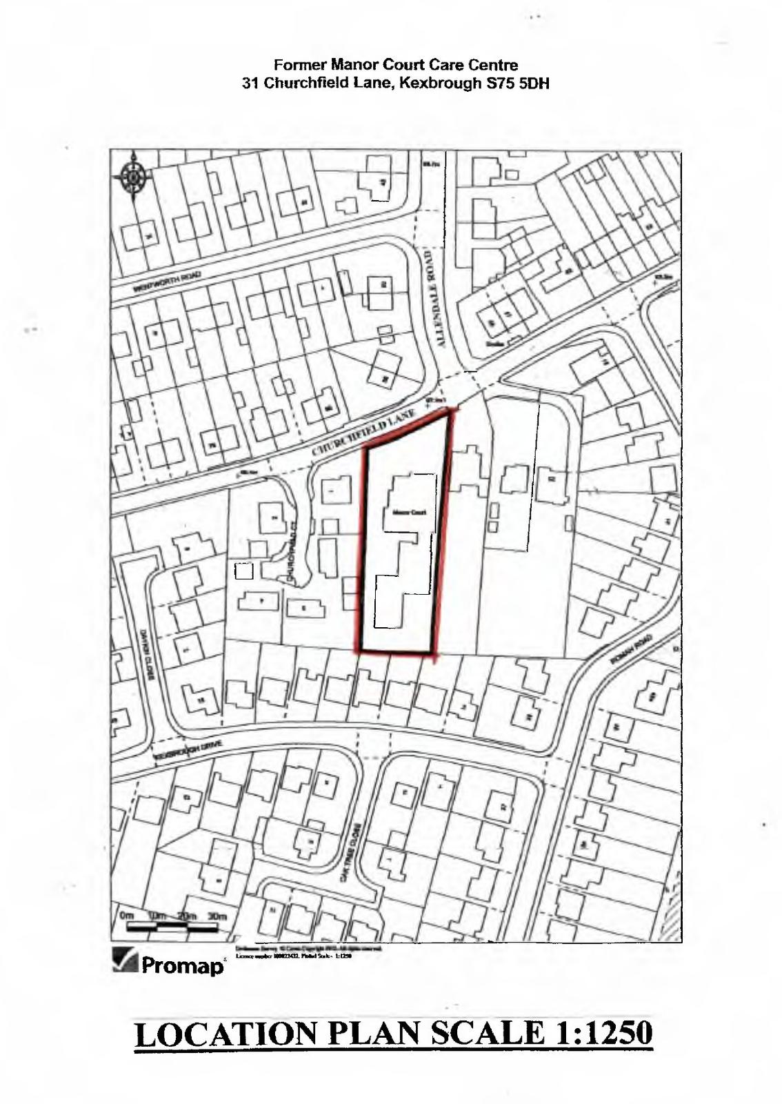
← Barnsley Metropolitan Borough Council
2025/0093
Barnsley Metropolitan Borough Council
Status
Appeal Decided
Change of use
Received
12 Feb 2025
New homes
0
Full proposal
Change of use of part of residential home to HMO
Documents
Have your say
Your comment matters. Councils must consider every representation that raises material planning considerations.