← Bexley

Status

With Case Officer House extension
Received
Last month
New homes
0

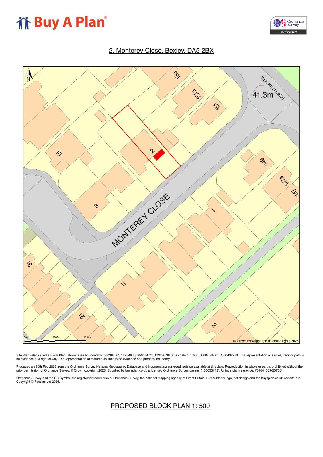
Full proposal

Erection of front porch and conversion of garage into habitable room and alterations to rear fenestration.

Documents

Application Form - Public
Archived · Original link
Drawing
Archived · Original link
Drawing
Archived · Original link
Drawing
Archived · Original link

Have your say

Your comment matters. Councils must consider every representation that raises material planning considerations.

Write a comment