← Bolton Council

Status

Deposited House extension
Received
27 Jan 2026
New homes
0

Full proposal

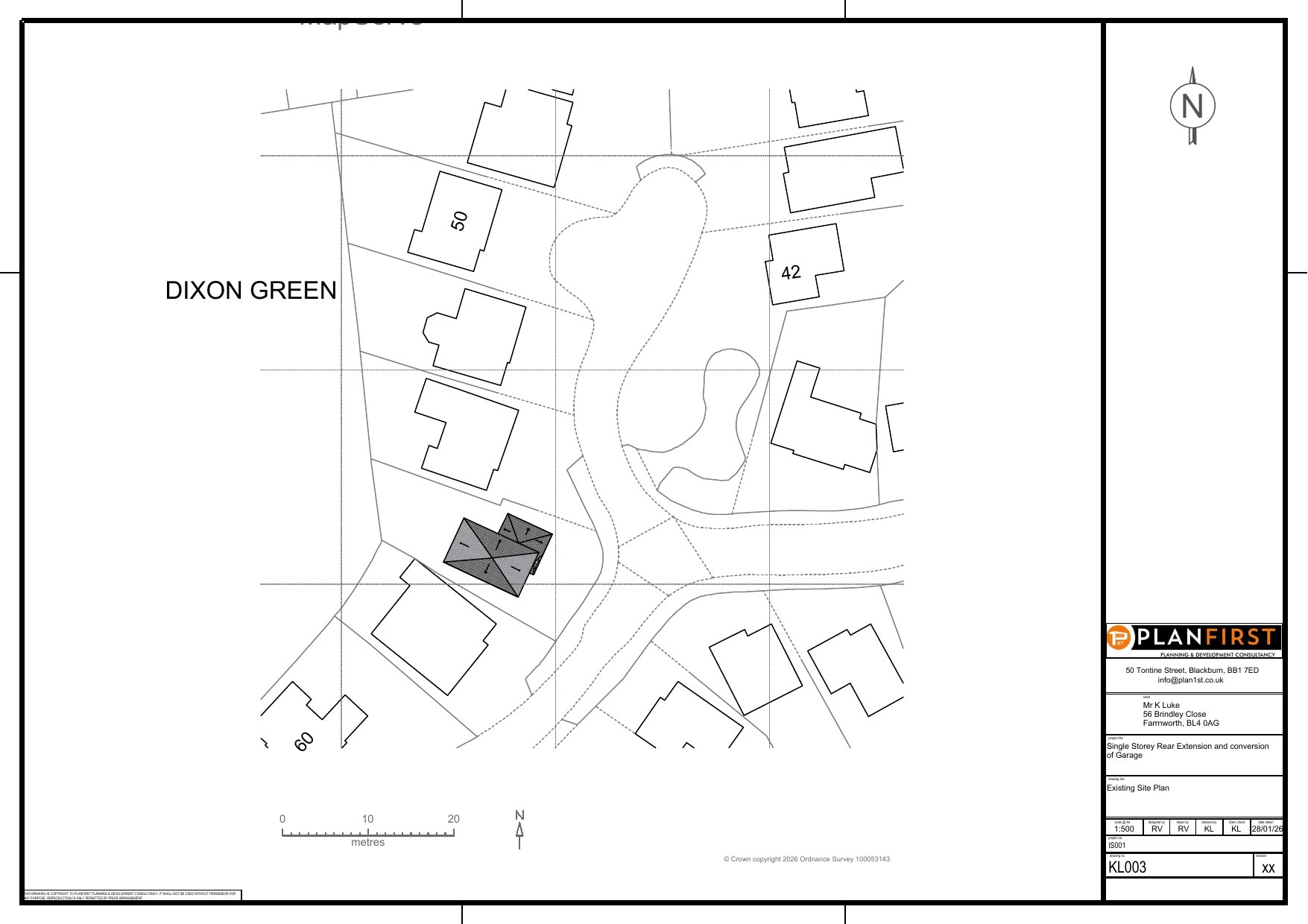
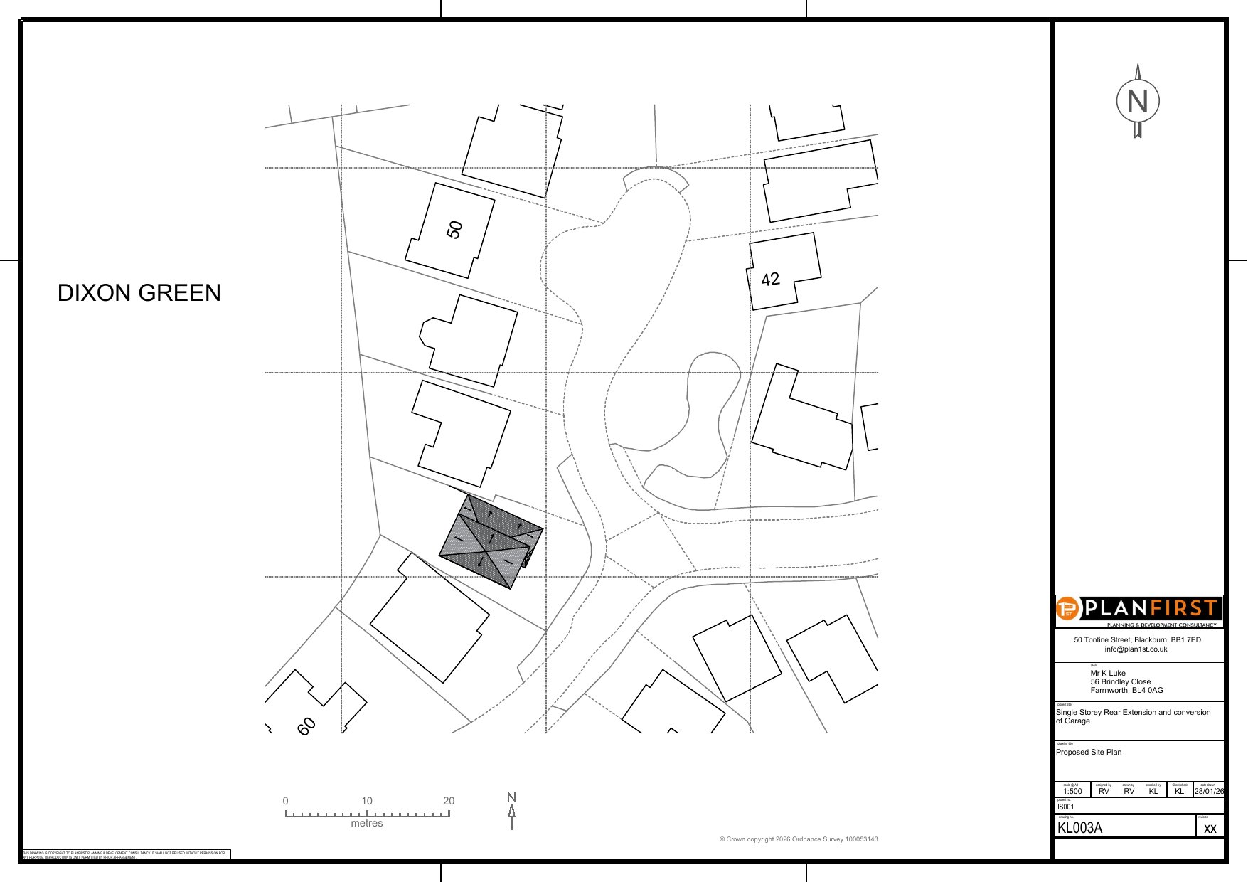
ERECTION OF SINGLE STOREY EXTENSION TO REAR WITH GARAGE CONVERSION.

Documents

Application Form
Archived · Original link
Application Submission Details
Archived · Original link
Consultee Comment
Archived · Original link
Application Submission Details
Archived · Original link
Application Submission Details
Archived · Original link
Application Submission Details
Archived · Original link

Have your say

Your comment matters. Councils must consider every representation that raises material planning considerations.

Write a comment