← Bristol City Council

Status

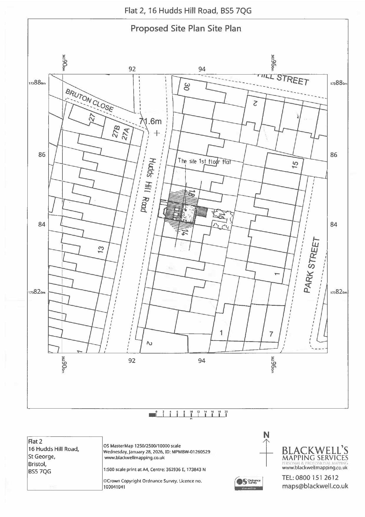
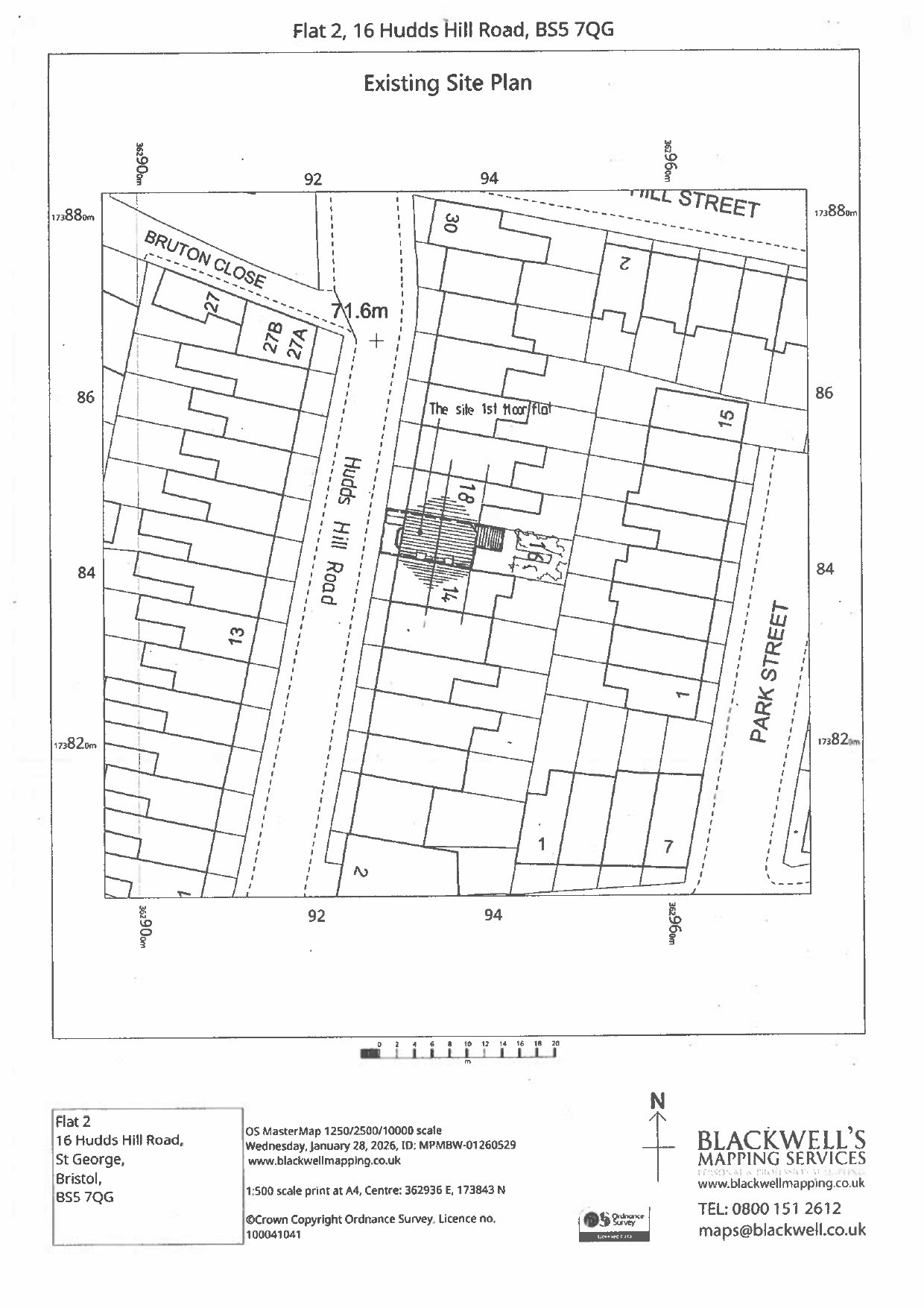
Pending consideration House extension
Received
03 Feb 2026
New homes
0

Full proposal

Loft conversion to include rear flat roof dormer extension and rooflights to front elevations roof slope.

Documents

APPLICATION FORM
Application Form
Not yet archived · Original link
DESIGN AND ACCESS STATEMENT
Design & Access Statement
Not yet archived · Original link
EXISTING ROOF PLAN
Plan
Not yet archived · Original link
PROPOSED ROOF PLAN
Plan
Not yet archived · Original link

Have your say

Your comment matters. Councils must consider every representation that raises material planning considerations.

Write a comment