← Bromley

Status

Pending House extension
Received
Not recorded
New homes
0

Full proposal

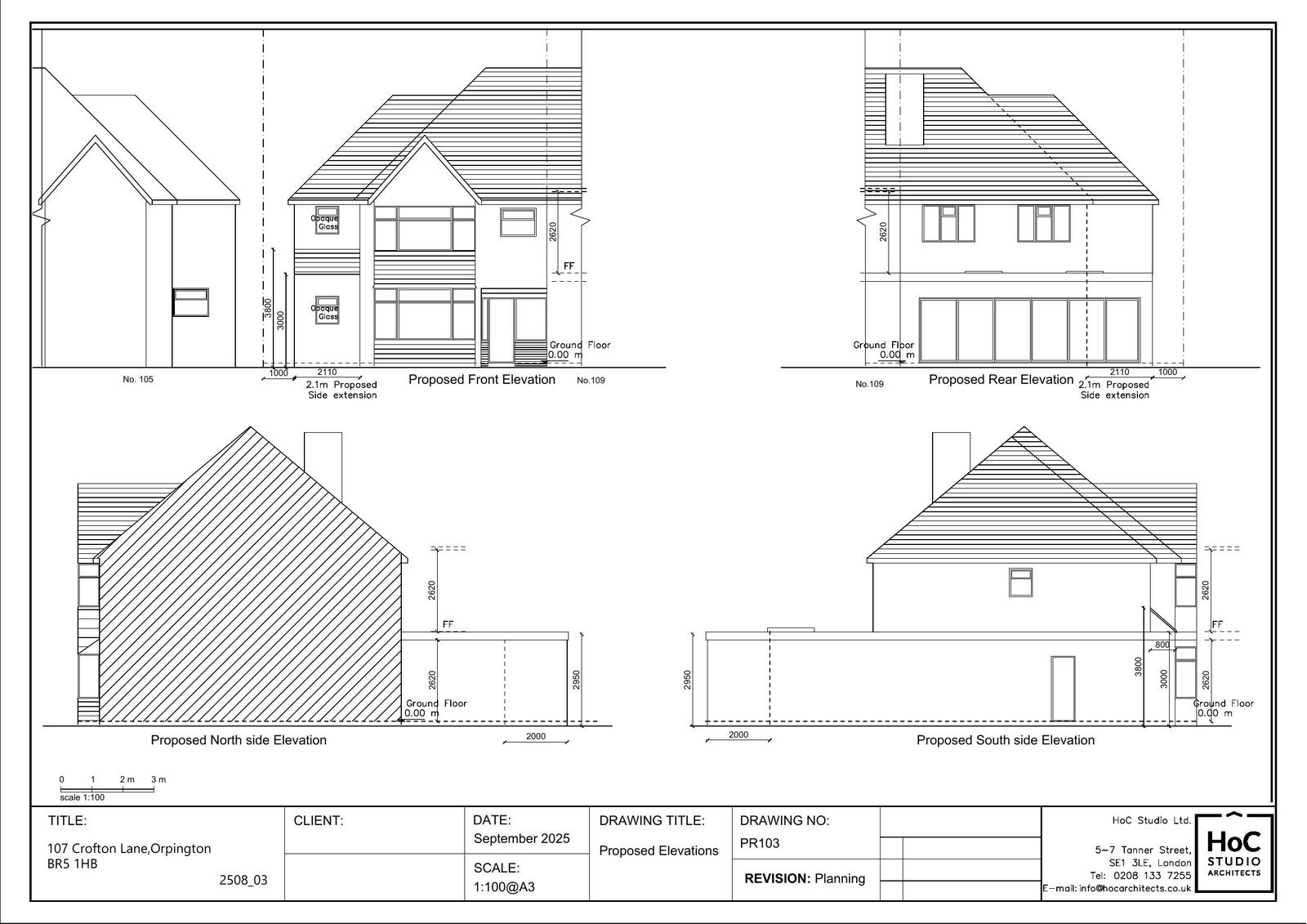
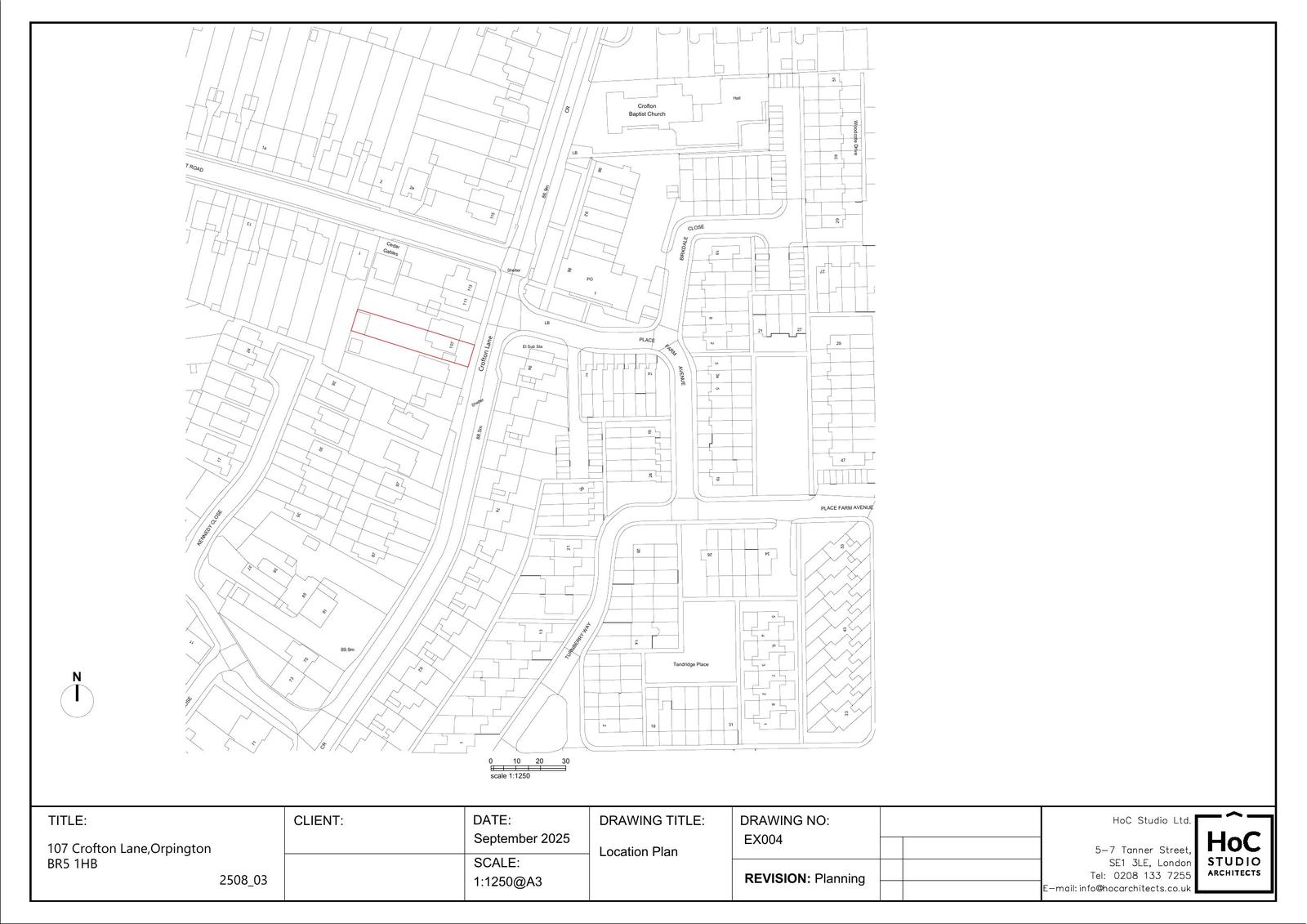
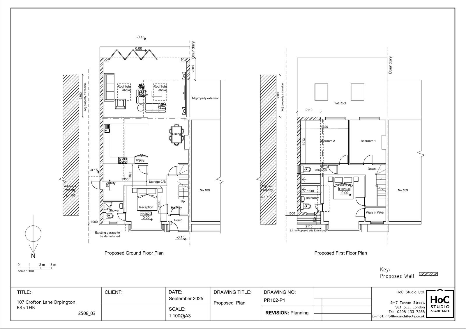
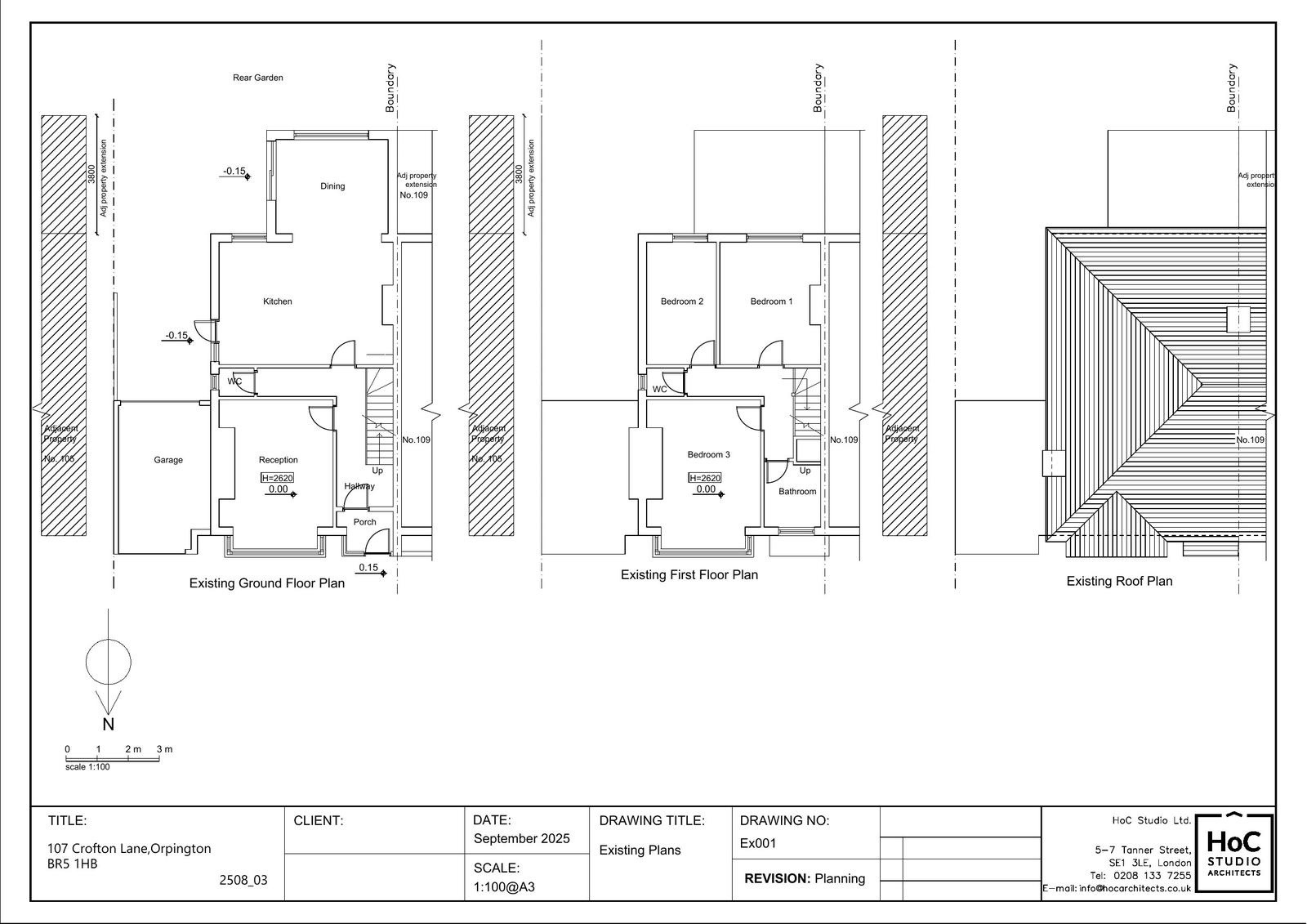
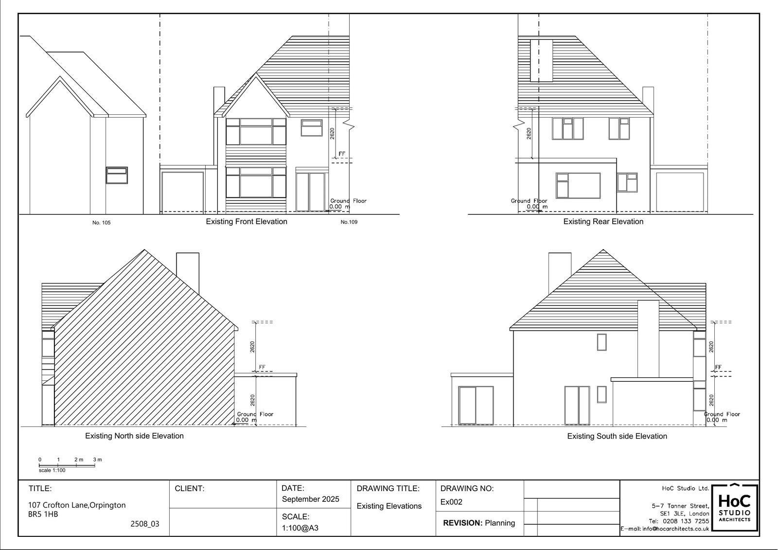
Reference 26/00744/HPA Received Date 25/2/2026 Application type Householder planning permission Site address 107 CROFTON LANE, ORPINGTON, BR5 1HB Description Demolition of existing garage and construction of part one/two storey rear/side extension. Status Valid Decision

Documents

Uncategorised
Archived · Original link
Uncategorised
Archived · Original link
Uncategorised
Archived · Original link
Uncategorised
Archived · Original link
Uncategorised
Archived · Original link
Uncategorised
Archived · Original link
Uncategorised
Archived · Original link
Uncategorised
Archived · Original link

Have your say

Your comment matters. Councils must consider every representation that raises material planning considerations.

Write a comment