← Buckinghamshire Council

Status

Out of time to determine New housing
Received
Not recorded
New homes
1

Full proposal

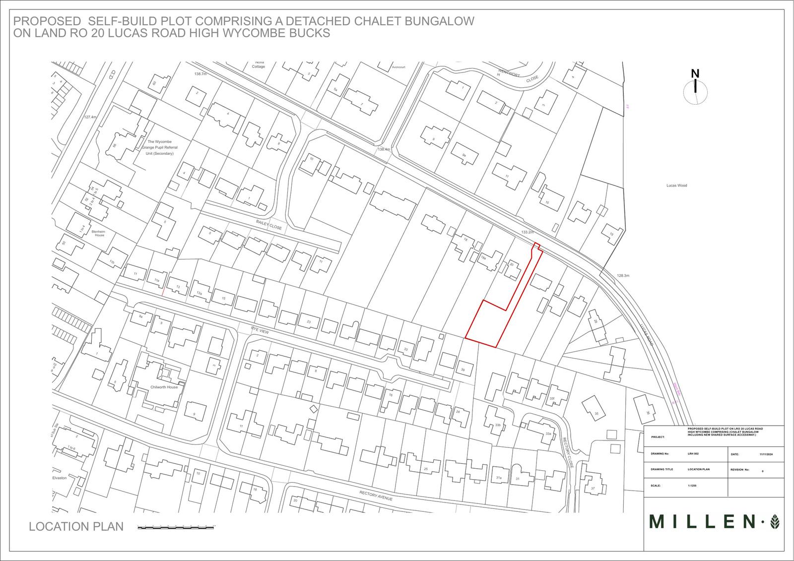
Construction of 1 x custom/self build 5-bed dwelling and single detached garage, hard/soft landscaping and parking to land rear of 20 Lucas Road

Documents

Plan
Archived · Original link
Additional Information
Archived · Original link
Appeal Decision Notice
Archived · Original link
Appeal Decision Notice
Archived · Original link
Application Form and Certificate
Archived · Original link
Additional Information
Archived · Original link
Additional Information
Archived · Original link
ECOLOGY AND TREES CHECKLIST
Additional Information
Not yet archived · Original link
Consultee Comment
Archived · Original link
ENVIRONMENTAL PROTECTION OFFICER RESPONSE
Consultation Letter
Not yet archived · Original link
HIGHWAYS
Consultee Comment
Not yet archived · Original link
HIGHWAYS COMMENTS
Consultee Comment
Not yet archived · Original link
HIGHWAYS COMMENTS
Consultee Comment
Not yet archived · Original link
Additional Information
Archived · Original link
Additional Information
Archived · Original link
Additional Information
Archived · Original link
Additional Information
Archived · Original link
Additional Information
Archived · Original link
Additional Information
Archived · Original link
Additional Information
Archived · Original link
Plan
Archived · Original link
Plan
Archived · Original link
Consultee Comment
Archived · Original link
Additional Information
Archived · Original link

Have your say

Your comment matters. Councils must consider every representation that raises material planning considerations.

Write a comment