Application
24/01168/OUT
Calderdale Council · IDOX
Status
Refuse
Received
16 Dec 2024
New dwellings
n/a
What you can do
Take Action
Make your voice heard. Authorities need to hear from people who support new homes.
Full Proposal
Residential development of up to 2 dwellings (Outline)
Detail pages
- View live detail on council site
- No archived detail page available.
Documents
ACOUSTIC FENCE LOCATION
Drawing
Not downloaded
· Council link
AGENT REQUEST FOR EXT OF TIME
Applicant Correspondence
Not downloaded
· Council link
APPLICATION FORM WITH NO PERSONAL DATA
Application Form
Not downloaded
· Council link
BASIC TREE CONDITION REPORT
Supporting Information
Not downloaded
· Council link
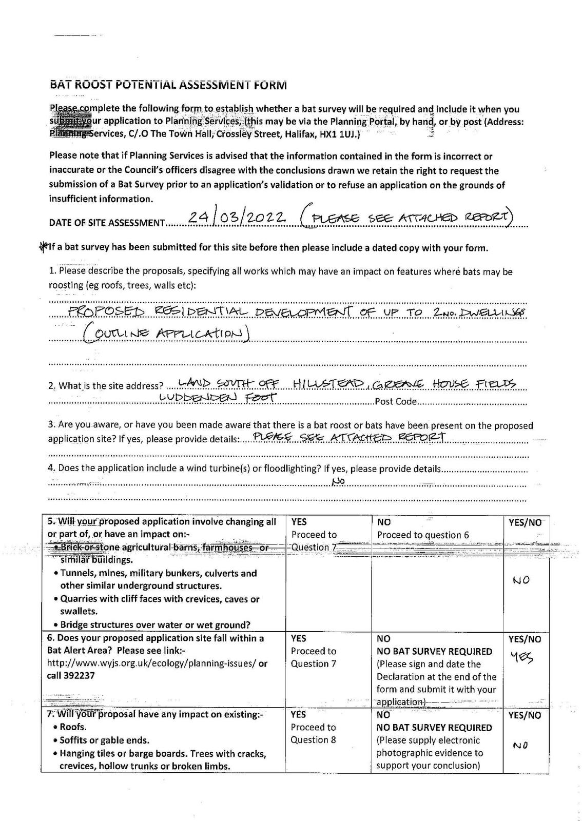
BAT ROOST POTENTIAL ASSESSMENT FORM
Supporting Information
Not downloaded
· Council link
BAT SURVEY
Supporting Information
Not downloaded
· Council link
BIODIVERSITY NET GAIN ASSESSMENT
Supporting Information
Not downloaded
· Council link
CALCULATIONS
Supporting Information
Not downloaded
· Council link
COMMITTEE AGENDA REPORT 8TH JULY 2025
Report
Not downloaded
· Council link
CONSULTEE COMMENT SUBMITTED ONLINE
Consultee Comment
Not downloaded
· Council link
CONSULTEE COMMENT SUBMITTED ONLINE
Consultee Comment
Not downloaded
· Council link
CONSULTEE COMMENT SUBMITTED ONLINE
Consultee Comment
Not downloaded
· Council link
CONSULTEE COMMENT SUBMITTED ONLINE
Consultee Comment
Not downloaded
· Council link
CONSULTEE COMMENT SUBMITTED ONLINE
Consultee Comment
Not downloaded
· Council link
CONSULTEE COMMENT SUBMITTED ONLINE
Consultee Comment
Not downloaded
· Council link
CONSULTEE COMMENT SUBMITTED ONLINE
Consultee Comment
Not downloaded
· Council link
CONSULTEE COMMENT SUBMITTED ONLINE
Consultee Comment
Not downloaded
· Council link
CONSULTEE COMMENT SUBMITTED ONLINE
Consultee Comment
Not downloaded
· Council link
CORRESPONDENCE FROM AGENT SUPPORTING DRAINAGE INFORMATION
Applicant Correspondence
Not downloaded
· Council link
Decision Notice
Decision Notice
Not downloaded
· Council link
DRAINAGE REPORT
Report
Not downloaded
· Council link
DRAINAGE STRATEGY
Supporting Information
Not downloaded
· Council link
FLOOD RISK ASSESSMENT STATEMENT
Supporting Information
Not downloaded
· Council link
FPAP0 - PLANNING APP - FOOTPATH
Other
Not downloaded
· Council link
FURTEHR COMMENTS FROM HIGHWAY OFFICER IN RESPONSE TO APPLICANT'S HIGHWAYS CONSUL
Consultations
Not downloaded
· Council link
NEIGHBOUR NOTIFICATION LIST
Supporting Information
Not downloaded
· Council link
OBJECTION
Representations
Not downloaded
· Council link
OBJECTION
Representations
Not downloaded
· Council link
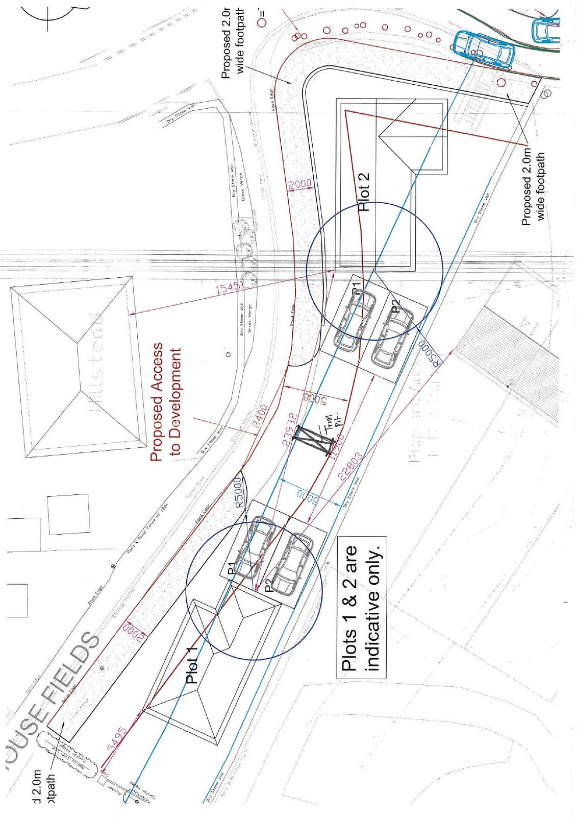
PLOTS
Drawing
Not downloaded
· Council link
RESPONSE FROM AGENT AND HIGHWAYS CONSULTANT TO COUNCIL'S HIGHWAYS COMMENTS UPLOA
Supporting Information
Not downloaded
· Council link
SBM BASELINE NET LOSS 2024-11-11
Supporting Information
Not downloaded
· Council link
SBM BASELINE WITH EXAMPLE OFFSITE GAIN 2024-11-11
Supporting Information
Not downloaded
· Council link
SBM CONDITION ASSESSMENT 2024-11-11
Supporting Information
Not downloaded
· Council link
SOAKAWAY PLAN
Drawing
Not downloaded
· Council link
TECHNICAL NOTE ISSUE UPDATED
Supporting Information
Not downloaded
· Council link
TECHNICAL REPORT ADDENDUM HIGHWAYS (RECEIVED 24.04.25)
Report
Not downloaded
· Council link
YORKSHIRE WATER RESPONSE
Consultations
Not downloaded
· Council link