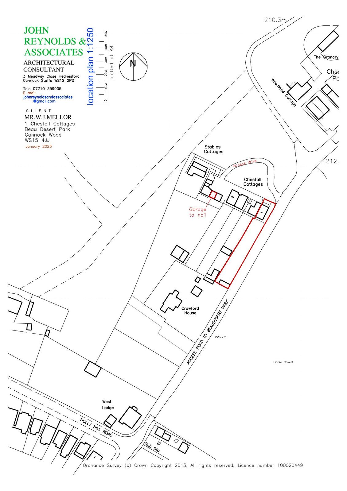
← Cannock Chase District Council
CH/25/0030
Cannock Chase District Council
Status
Decision made
House extension
Received
31 Jan 2025
New homes
0
Full proposal
Erection of a rear single storey extension
Documents
Have your say
Your comment matters. Councils must consider every representation that raises material planning considerations.