← Cardiff Council

Status

Registered New housing
Received
12 Feb 2025
New homes
2

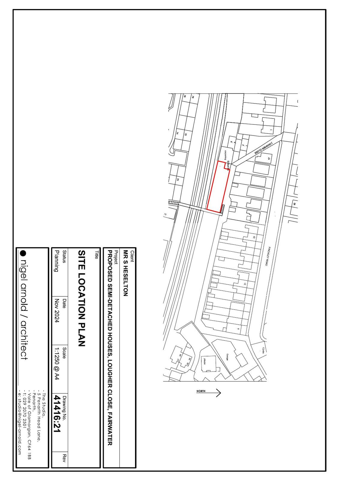
Full proposal

Erection of 2 no. semi-detached residential dwellings together with drainage infrastructure, landscaping, car parking spaces and associated works.

Documents

APPENDIX 3 - SAB DECISION NOTICE
Supporting Documents
Not yet archived · Original link
APPENDIX 4 - ENVIRONMENTAL NOISE ASSESSMENT
Supporting Documents
Not yet archived · Original link
APPENDIX 5 - VIBRATION ASSESSMENT REPORT
Supporting Documents
Not yet archived · Original link
APPLICATIONFORMREDACTED
Application Form
Not yet archived · Original link
COVER LETTER
Supporting Documents
Not yet archived · Original link
FLOOD CONSEQUENCE ASSESSMENT - 1
Supporting Documents
Not yet archived · Original link
FLOOD CONSEQUENCE ASSESSMENT - 2
Supporting Documents
Not yet archived · Original link
GREEN INFRASTRUCTURE STATEMENT
Supporting Documents
Not yet archived · Original link
INTEGRAL_GEOTECHNIQUE_SI_PART1
Supporting Documents
Not yet archived · Original link
INTEGRAL_GEOTECHNIQUE_SI_PART10
Supporting Documents
Not yet archived · Original link
INTEGRAL_GEOTECHNIQUE_SI_PART11
Supporting Documents
Not yet archived · Original link
INTEGRAL_GEOTECHNIQUE_SI_PART12
Supporting Documents
Not yet archived · Original link
INTEGRAL_GEOTECHNIQUE_SI_PART13
Supporting Documents
Not yet archived · Original link
INTEGRAL_GEOTECHNIQUE_SI_PART14
Supporting Documents
Not yet archived · Original link
INTEGRAL_GEOTECHNIQUE_SI_PART15
Supporting Documents
Not yet archived · Original link
INTEGRAL_GEOTECHNIQUE_SI_PART16
Supporting Documents
Not yet archived · Original link
INTEGRAL_GEOTECHNIQUE_SI_PART2
Supporting Documents
Not yet archived · Original link
INTEGRAL_GEOTECHNIQUE_SI_PART3
Supporting Documents
Not yet archived · Original link
INTEGRAL_GEOTECHNIQUE_SI_PART4
Supporting Documents
Not yet archived · Original link
INTEGRAL_GEOTECHNIQUE_SI_PART5
Supporting Documents
Not yet archived · Original link
INTEGRAL_GEOTECHNIQUE_SI_PART6
Supporting Documents
Not yet archived · Original link
INTEGRAL_GEOTECHNIQUE_SI_PART7
Supporting Documents
Not yet archived · Original link
INTEGRAL_GEOTECHNIQUE_SI_PART8
Supporting Documents
Not yet archived · Original link
INTEGRAL_GEOTECHNIQUE_SI_PART9
Supporting Documents
Not yet archived · Original link
PLANNING STATEMENT
Supporting Documents
Not yet archived · Original link
Plans/Drawings
Archived · Original link
Site Location Plan
Archived · Original link

Have your say

Your comment matters. Councils must consider every representation that raises material planning considerations.

Write a comment