← Cardiff Council

Status

Registered Change of use
Received
14 Feb 2025
New homes
1

Full proposal

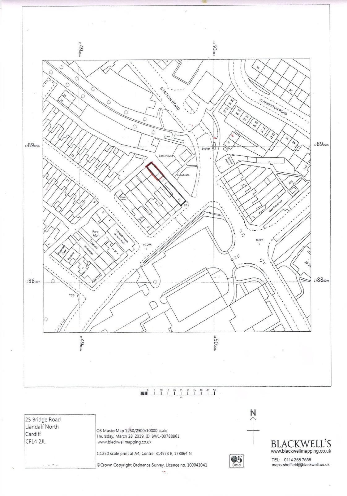
Part demolition and conversion of coach house into new dwelling with external alterations to the building.

Documents

APPLICATIONFORMREDACTED
Application Form
Not yet archived · Original link
DESIGN STATEMENT
Supporting Documents
Not yet archived · Original link
EXISTING PLANS & ELEVATIONS
Plans/Drawings
Not yet archived · Original link
GREEN INFRASTRUCTURE & BIO DIVERSITY STATEMENT
Supporting Documents
Not yet archived · Original link
Plans/Drawings
Archived · Original link
Site Location Plan
Archived · Original link

Have your say

Your comment matters. Councils must consider every representation that raises material planning considerations.

Write a comment