← Cardiff Council

Status

Registered Change of use
Received
25 Aug 2025
New homes
0

Full proposal

Conversion to two flats with single storey rear extension and rear dormer loft conversion.

Documents

APPLICATIONFORMREDACTED
Application Form
Not yet archived · Original link
DESIGN STATEMENT
Supporting Documents
Not yet archived · Original link
EXISTING FLOOR PLANS & ELEVATIONS
Plans/Drawings
Not yet archived · Original link
GREEN INFRASTRUCTURE STATEMENT
Supporting Documents
Not yet archived · Original link
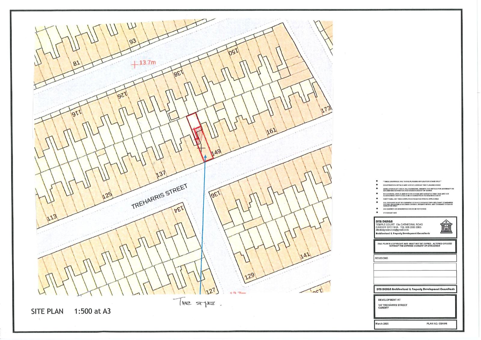
Site Location Plan
Archived · Original link
Plans/Drawings
Archived · Original link

Have your say

Your comment matters. Councils must consider every representation that raises material planning considerations.

Write a comment