← Cardiff Council

Status

Registered Change of use
Received
22 Dec 2025
New homes
0

Full proposal

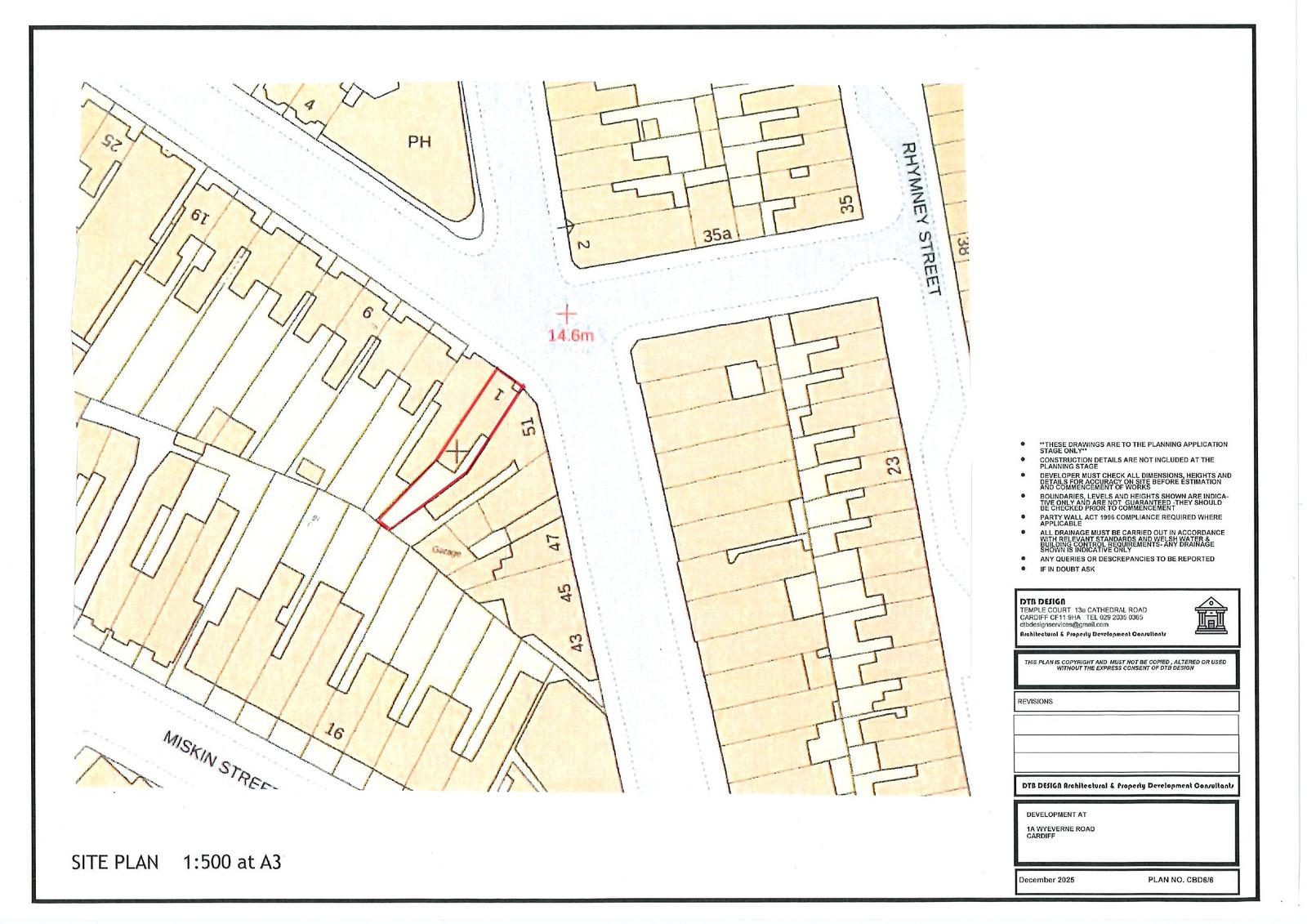
Conversion from a Class C4 House in Multiple Occupation to Large Sui Generis House in Multiple Occupation with rear and side dormer roof extensions.

Documents

APPLICATIONFORMREDACTED
Application Form
Not yet archived · Original link
CONCERNS-CLLRS MERRY, WEAVER & MACKIE
Concerns
Not yet archived · Original link
DESIGN STATEMENT
Supporting Documents
Not yet archived · Original link
EXISTING FLOOR PLANS & ELEVATIONS
Plans/Drawings
Not yet archived · Original link
GREEN INFRASTRUCTURE STATEMENT
Supporting Documents
Not yet archived · Original link
HMO LICENCE
Supporting Documents
Not yet archived · Original link
Site Location Plan
Archived · Original link
Plans/Drawings
Archived · Original link

Have your say

Your comment matters. Councils must consider every representation that raises material planning considerations.

Write a comment