← Castle Point Borough Council

Status

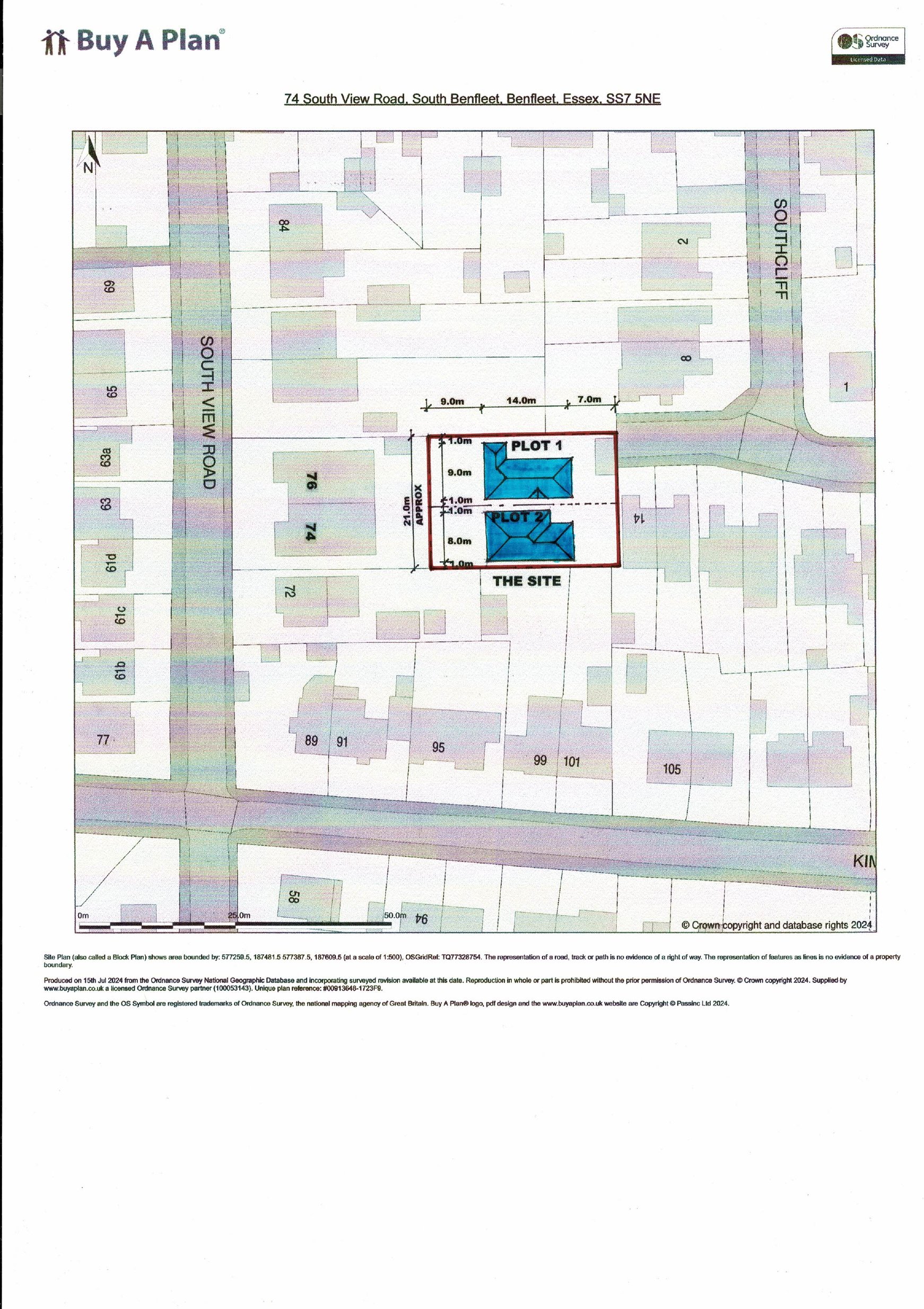
Registered New housing
Received
12 Nov 2025
New homes
2

Full proposal

Construction of 2No. detached bungalows

Documents

Supporting Documents
Archived · Original link
Drawing
Archived · Original link
Drawing
Archived · Original link

Have your say

Your comment matters. Councils must consider every representation that raises material planning considerations.

Write a comment