← Cheltenham Borough Council

Status

Permit Change of use
Received
19 Nov 2024
New homes
0

Full proposal

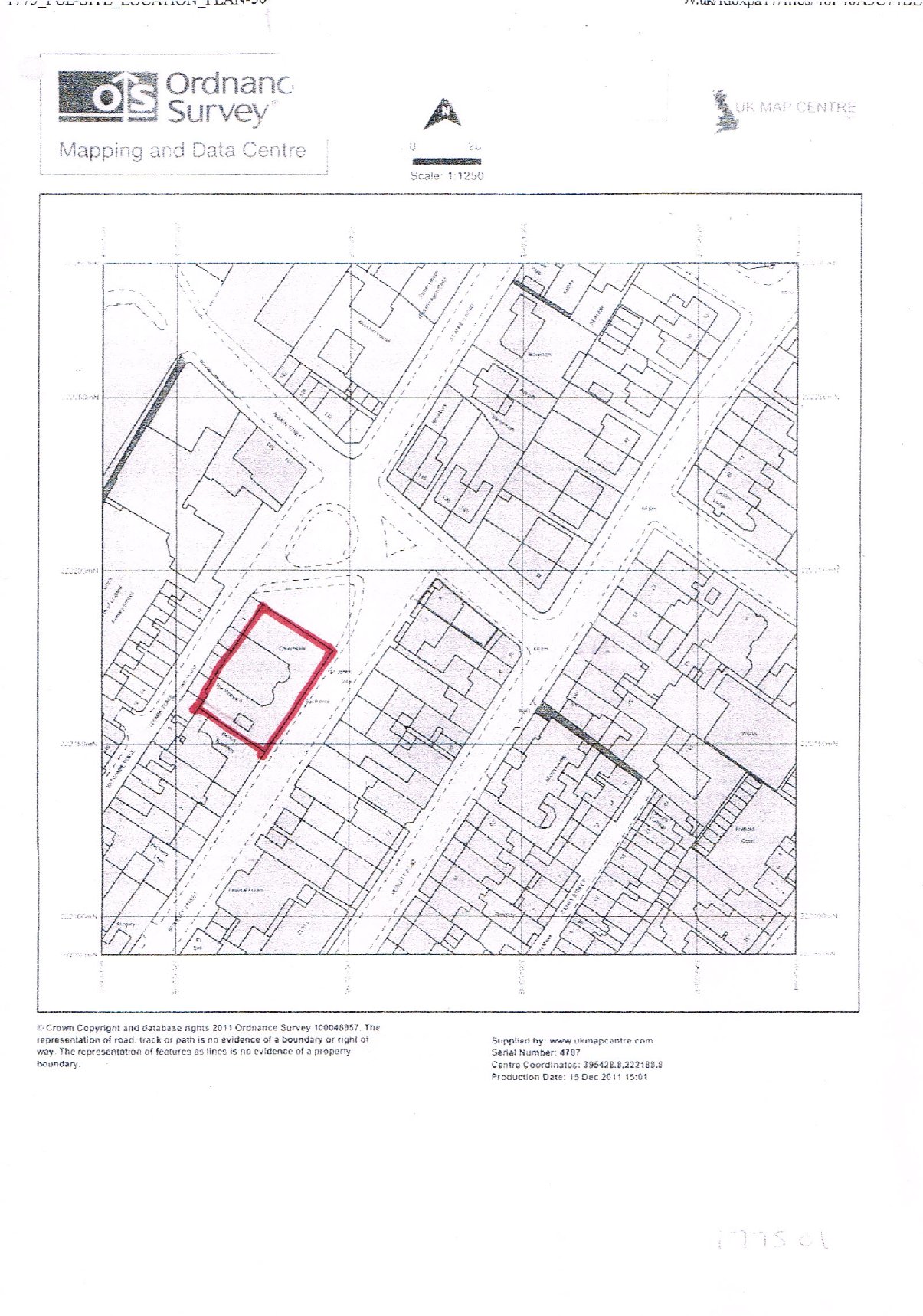
Conversion of existing chiropractic clinic to residential flat and associated external works, including new detached garage.

Documents

Application form
Application Form
Not yet archived · Original link
Bio diversity report
Consultee Comment
Not yet archived · Original link
Decision Notice
Decision Notice
Not yet archived · Original link
Design and access statement
BackGround Papers
Not yet archived · Original link
Existing plans
Drawing
Not yet archived · Original link
Heritage statement
BackGround Papers
Not yet archived · Original link
Officer report
Report
Not yet archived · Original link
Approved Drawing
Archived · Original link
S.106 - sac mitigation
BackGround Papers
Not yet archived · Original link
Approved Drawing
Archived · Original link

Have your say

Your comment matters. Councils must consider every representation that raises material planning considerations.

Write a comment