← City of Lincoln Council

Status

Pending Consideration Change of use
Received
08 Jan 2026
New homes
3

Full proposal

Conversion of existing 7 bed HMO (Use Class Sui Generis) into 3no. flats (Use Class C3)

Documents

Application Form
Archived · Original link
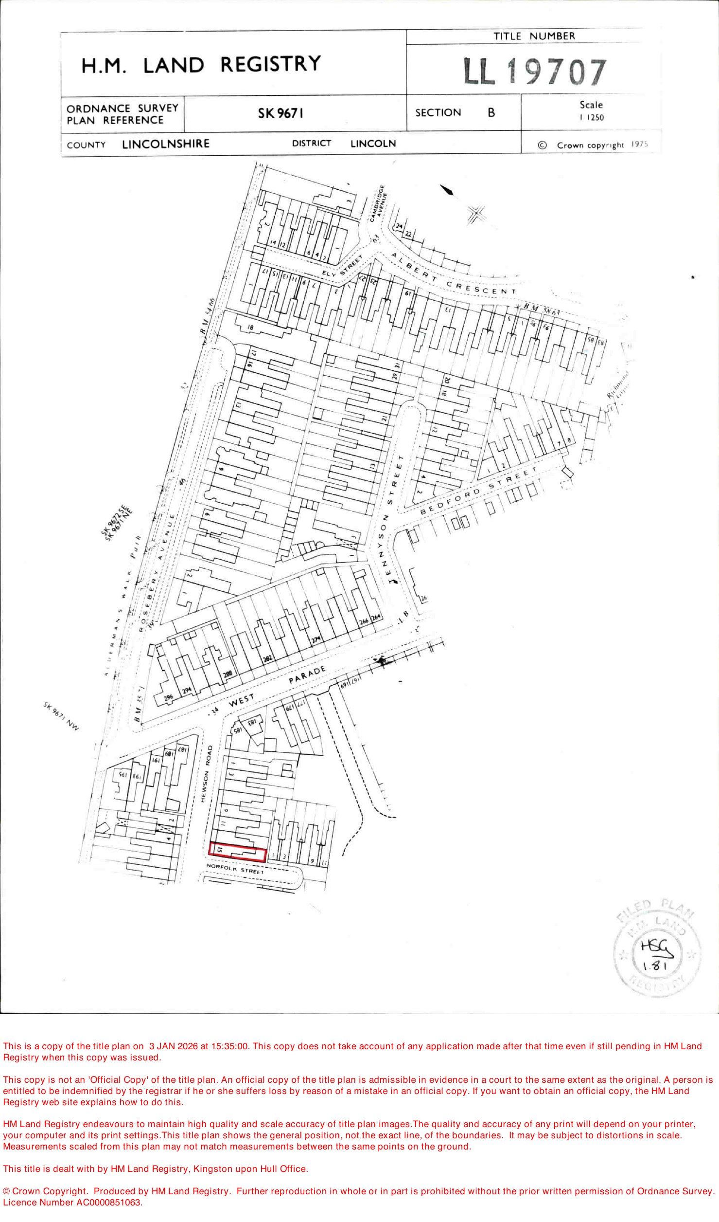
Plan
Archived · Original link
PLANNING STATEMENT
Supporting Document
Not yet archived · Original link

Have your say

Your comment matters. Councils must consider every representation that raises material planning considerations.

Write a comment