26/00474/HSE
Croydon
Status
Awaiting decision
House extension
Received
Last month
New homes
0
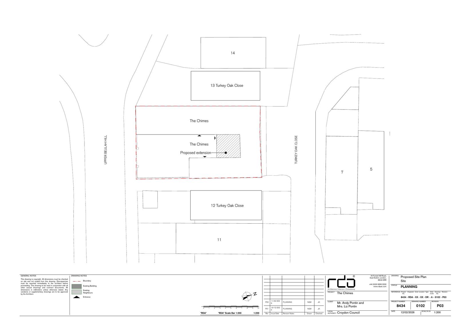
Full proposal
Alterations, erection of single storey infill extension and repair works to roof, provision of additional and replacement windows including an oriel window and rooflights, and installation of mechanical ventilation with heat recovery (MVHR) system
Documents
Have your say
Your comment matters. Councils must consider every representation that raises material planning considerations.