← Dudley Metropolitan Borough Council
P25/0515
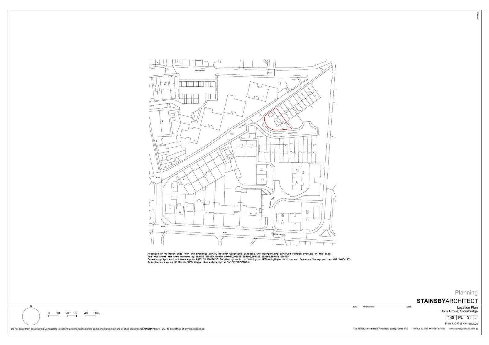
Dudley Metropolitan Borough Council
Status
Decision made
New housing
Received
29 Apr 2025
New homes
1
Summary
Erect one detached dwelling and associated works.
Full proposal
Erection of a 1 no detached dwelling and associated works
Documents
Have your say
Your comment matters. Councils must consider every representation that raises material planning considerations.