← Epping Forest District Council

Status

Pending House extension
Received
Not recorded
New homes
0

Full proposal

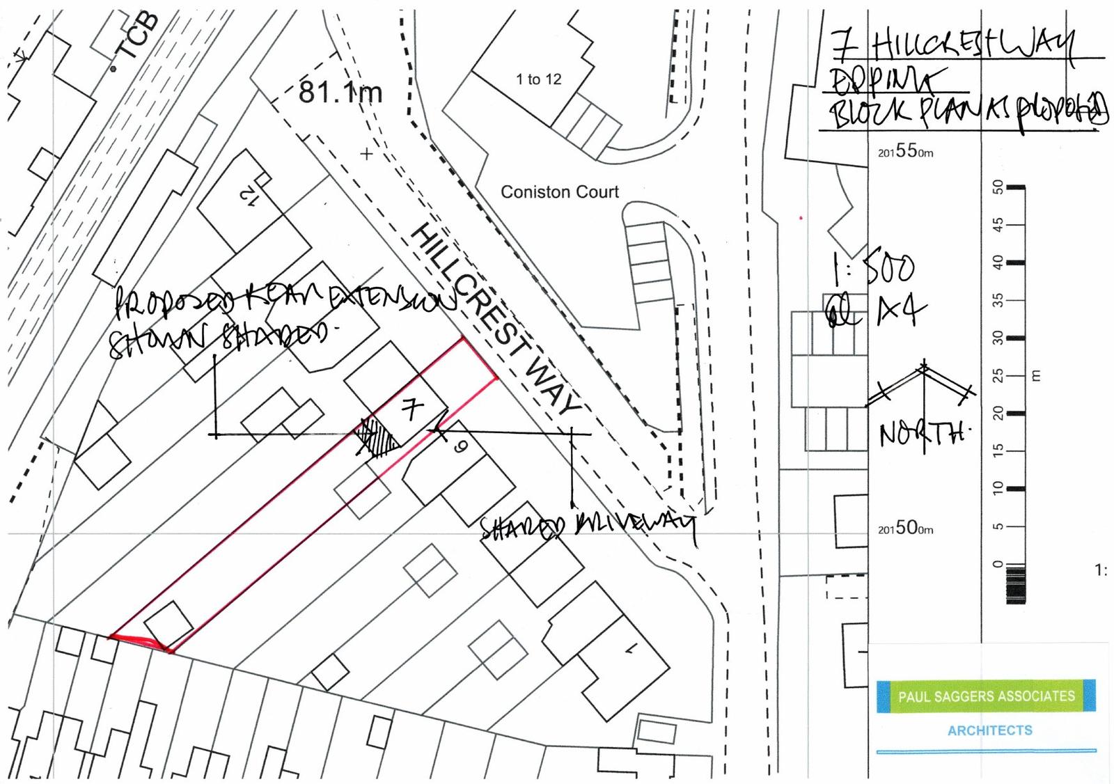
Application Reference EPF/2489/24 Site Address 7, Hillcrest Way, Epping, CM16 7AR Proposal Proposed single storey rear extension with roof lantern. Proposed hip to gable roof extension with rear dormer window to facilitate a loft conversion. Received Date 11/12/2024 Application Status Decision Made Valid Date 11/12/2024

Documents

Uncategorised
Archived · Original link
Uncategorised
Archived · Original link
Uncategorised
Archived · Original link
Uncategorised
Archived · Original link
Uncategorised
Archived · Original link
Uncategorised
Archived · Original link
Uncategorised
Archived · Original link
Uncategorised
Archived · Original link
Uncategorised
Archived · Original link
Uncategorised
Archived · Original link
Uncategorised
Archived · Original link

Have your say

Your comment matters. Councils must consider every representation that raises material planning considerations.

Write a comment