← Folkestone & Hythe District Council

Status

Pending Change of use
Received
Not recorded
New homes
0

Full proposal

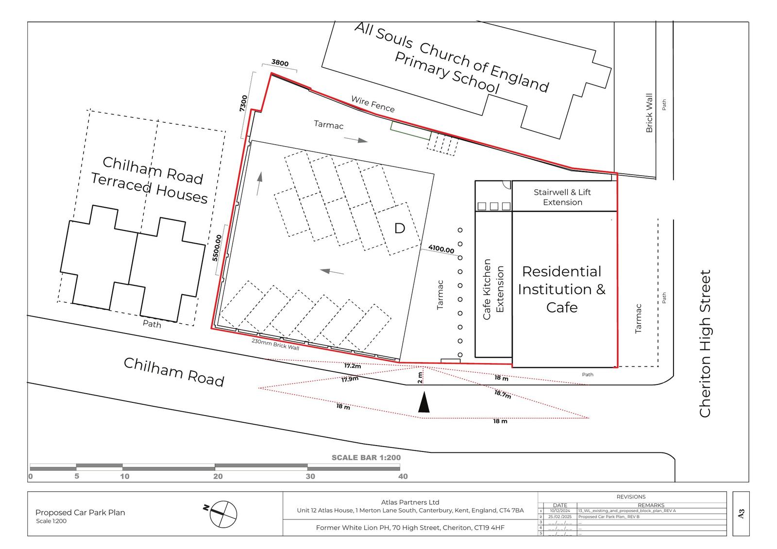
Reference 24/1887/FH Site address WHITE LION, 70 CHERITON HIGH STREET CT19 4HF Proposal Change of use of public house to ground floor café, supported living accommodation Class (C2) at lower ground, first and second floor, erection of 3 storey side extension and single storey rear extension, installation of photovoltaic panels and roof light to roof, alteration to ground floor front and side openings, erection of covered parking area with photovoltaic panels to roof, laying of hardstanding to rear, alteration to existing vehicular access onto Chilham Road. Date valid 07/1/2025 Status Closed Decision Refused Consultation deadline date 04/3/2025

Documents

Uncategorised
Archived · Original link
Uncategorised
Archived · Original link
Uncategorised
Archived · Original link
Uncategorised
Archived · Original link
Uncategorised
Archived · Original link
Uncategorised
Archived · Original link
Uncategorised
Archived · Original link
Uncategorised
Archived · Original link
Uncategorised
Archived · Original link
Uncategorised
Archived · Original link
Uncategorised
Archived · Original link
Uncategorised
Archived · Original link
Uncategorised
Archived · Original link
Uncategorised
Archived · Original link
Uncategorised
Archived · Original link
Uncategorised
Archived · Original link
Uncategorised
Archived · Original link
Uncategorised
Archived · Original link
Uncategorised
Archived · Original link
Uncategorised
Archived · Original link

Have your say

Your comment matters. Councils must consider every representation that raises material planning considerations.

Write a comment