← Gloucester City Council

Status

Decided Approval of reserved matters
Received
16 Dec 2024
New homes
4

Full proposal

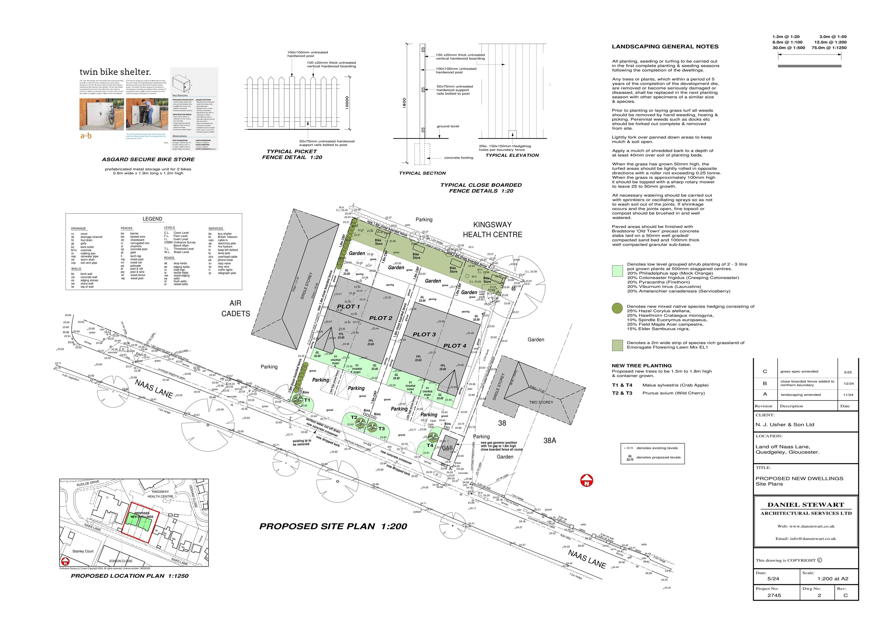
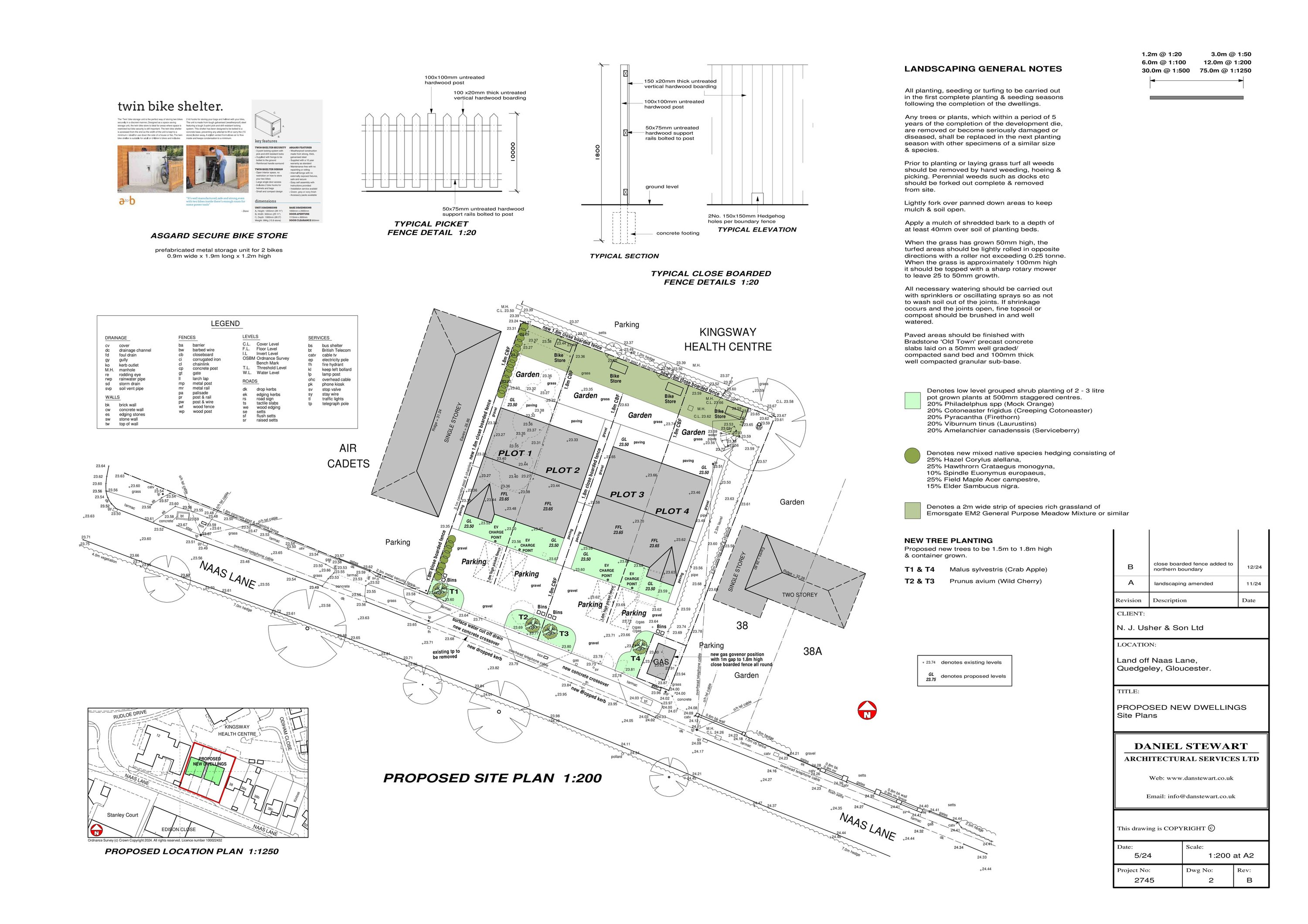
All reserved matters for the construction of 4 dwellings, landscaping and vehicular access from Naas Lane and all ancillary works, pursuant to Outline permission 22/00789/OUT.

Documents

ApplicationForm
Application Form
Not yet archived · Original link
BA response to LLFA
Amended Document
Not yet archived · Original link
BA Response to LLFA
Amended Document
Not yet archived · Original link
Contaminated Land comments
Consultee Comment
Not yet archived · Original link
Decision Notice
Decision
Not yet archived · Original link
Delegated Decision Report
Delegated Report
Not yet archived · Original link
Drainage Calculations
Amended Document
Not yet archived · Original link
Drainage Maintenance Strategy
Amended Document
Not yet archived · Original link
Drainage Maintenance Strategy
Report
Not yet archived · Original link
Drainage Maintenance Strategy
Report
Not yet archived · Original link
Ecology comments
Consultee Comment
Not yet archived · Original link
Ecology comments
Consultee Comment
Not yet archived · Original link
Flood Management comments
Consultee Comment
Not yet archived · Original link
Flood Management comments
Consultee Comment
Not yet archived · Original link
Flood Management comments
Consultee Comment
Not yet archived · Original link
Flood Management comments
Consultee Comment
Not yet archived · Original link
Flood Management comments
Consultee Comment
Not yet archived · Original link
Flood Management comments
Consultee Comment
Not yet archived · Original link
General Arrangement Attenuation Tank Details & Parking Area
Amended Plan
Not yet archived · Original link
General Arrangement Drainage
Plan
Not yet archived · Original link
General Arrangement Drainage
Amended Plan
Not yet archived · Original link
General Arrangement Drainage
Amended Plan
Not yet archived · Original link
General Arrangement Drainage
Plan
Not yet archived · Original link
General Arrangement Drainage
Amended Plan
Not yet archived · Original link
General Arrangement Drainage
Amended Plan
Not yet archived · Original link
General Arrangement Drainage
Amended Plan
Not yet archived · Original link
General Arrangement Drainage
Plan
Not yet archived · Original link
Ground Investigation Report
Report
Not yet archived · Original link
Highways comments
Consultee Comment
Not yet archived · Original link
Landscape comments
Consultee Comment
Not yet archived · Original link
Landscape Officer
Consultee Comment
Not yet archived · Original link
LLFA Response
Amended Document
Not yet archived · Original link
LLFA response
Supporting Information
Not yet archived · Original link
Micro Drainage Information
Amended Document
Not yet archived · Original link
Micro Drainage Information
Amended Document
Not yet archived · Original link
Micro Drainage Information
Amended Document
Not yet archived · Original link
Micro Drainage Parking SA 04
Amended Document
Not yet archived · Original link
Micro Drainage Parking SA 08
Amended Document
Not yet archived · Original link
Micro Drainage Rear Calculations
Amended Document
Not yet archived · Original link
Micro Drainage Rear Information
Amended Document
Not yet archived · Original link
Neighbour comment 01
Comment
Not yet archived · Original link
Proposed Drainage Connections Plan
Plan
Not yet archived · Original link
Proposed Elevations & Floor Plan
Plan
Not yet archived · Original link
QPC Comment
Consultee Comment
Not yet archived · Original link
Secure Bike Storage Information
Supporting Information
Not yet archived · Original link
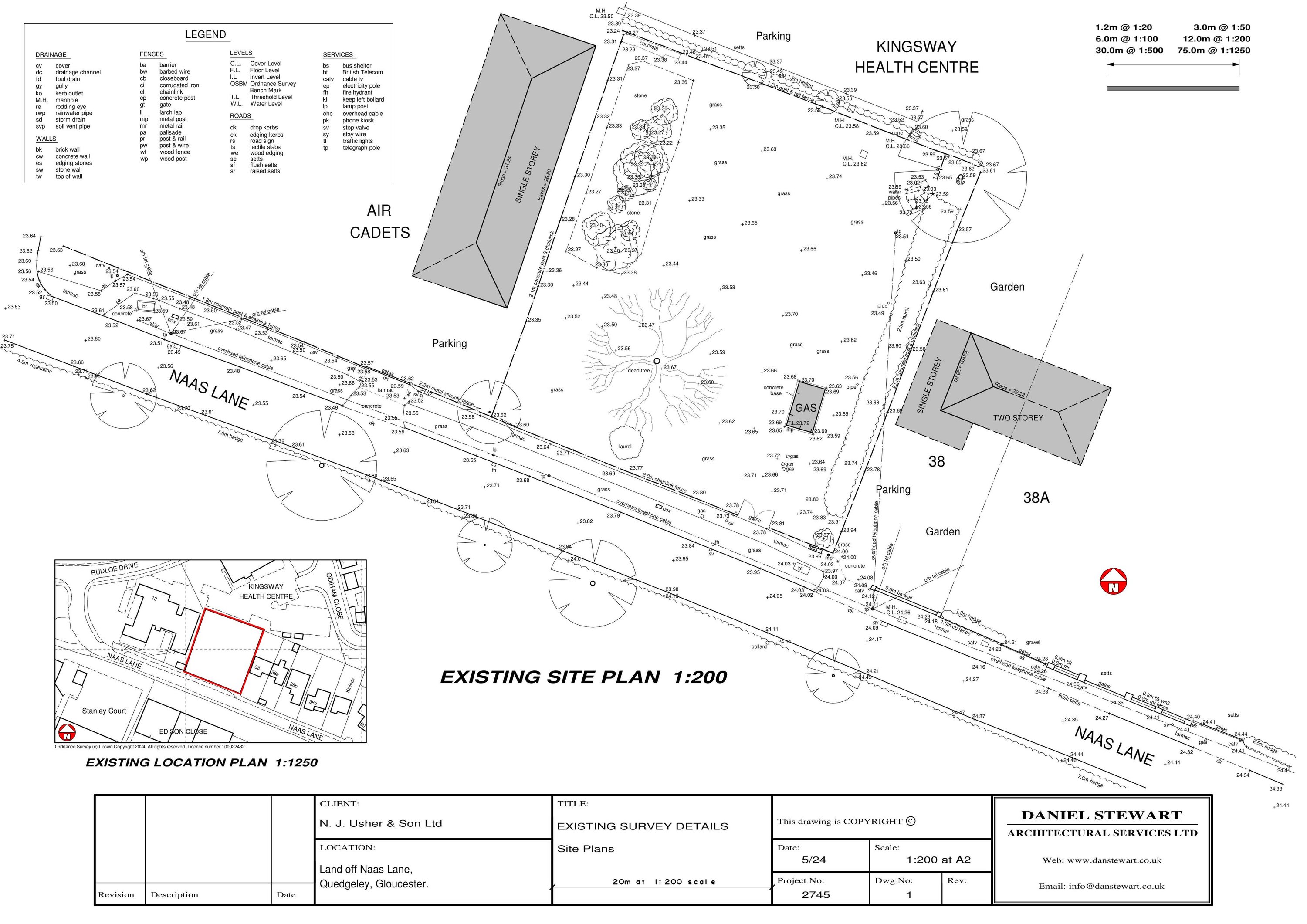
Site Survey
Plan
Not yet archived · Original link
Soakaway Calcs 02 crates
Report
Not yet archived · Original link
Soakaway Information
Supporting Information
Not yet archived · Original link
Supplementary Ground Investigation & Assessment
Report
Not yet archived · Original link
Tree Officer Comments
Consultee Comment
Not yet archived · Original link
Walkover Briefing Note
Supporting Information
Not yet archived · Original link

Have your say

Your comment matters. Councils must consider every representation that raises material planning considerations.

Write a comment