← Hambleton District Council (Legacy)

Status

Awaiting decision House extension
Received
Last month
New homes
0

Full proposal

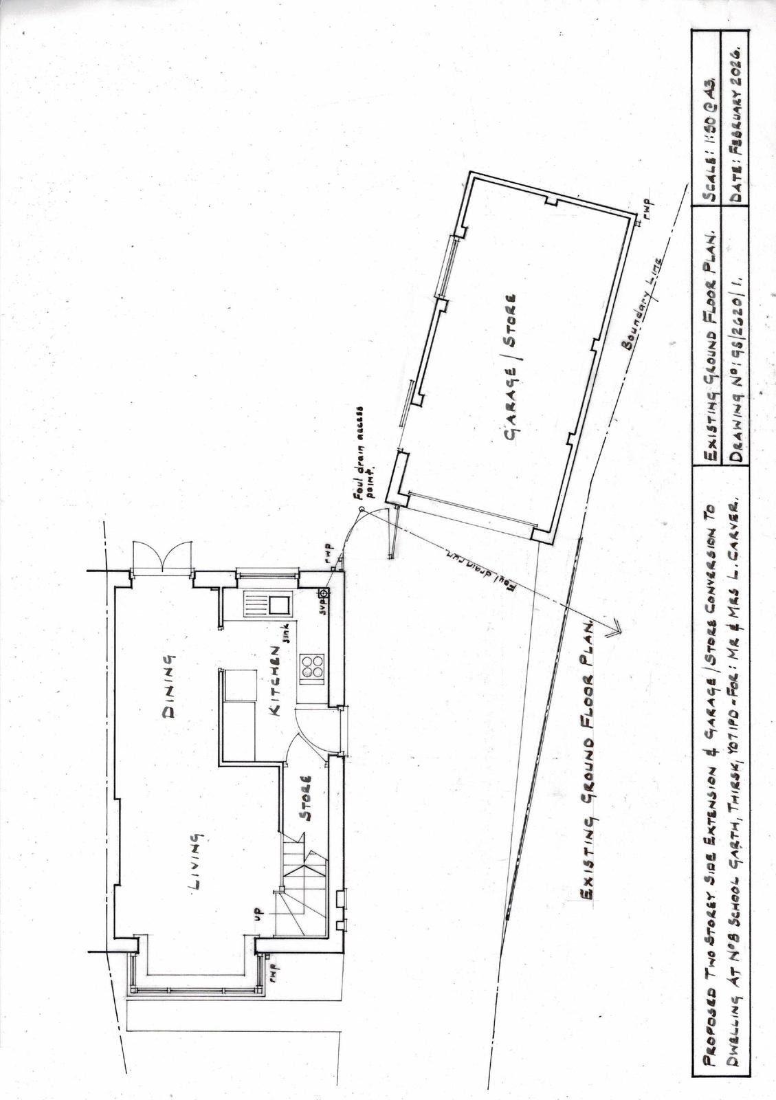
Application for a two Storey Side Extension and Garage/Store Conversion to Dwelling.

Documents

Planning Application (public viewing)
Archived · Original link
Flood Assessment
Archived · Original link
Existing Floor Plan
Archived · Original link
Elevations Existing
Archived · Original link
Proposed floor plan
Archived · Original link
Elevations Proposed
Archived · Original link
Proposed block plan
Archived · Original link
Location Plan
Archived · Original link
Word Document
Archived · Original link

Have your say

Your comment matters. Councils must consider every representation that raises material planning considerations.

Write a comment