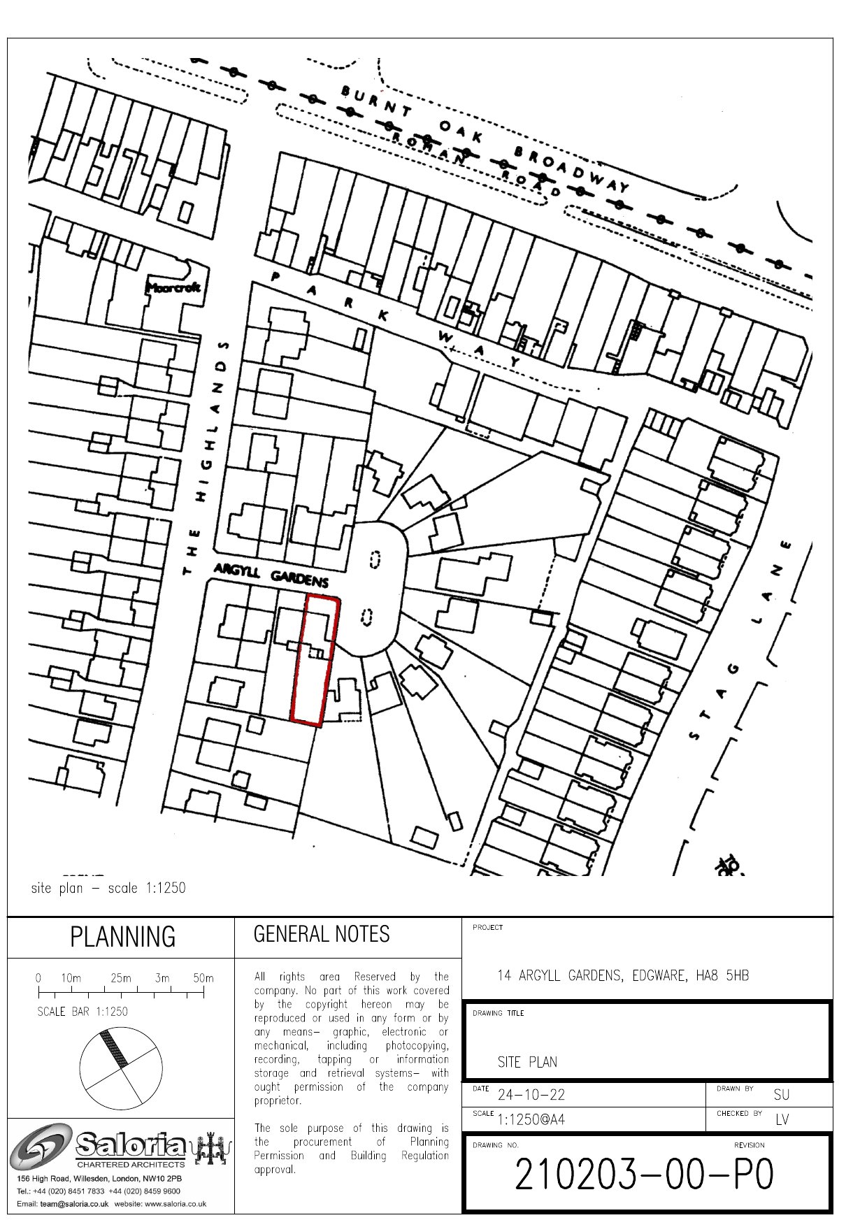
PL/0223/25
London Borough of Harrow
Status
Pending
House extension
Received
Not recorded
New homes
0
Full proposal
Single storey front extension incorporating porch, Single storey side to rear extension, External alterations (Demolition of front porch and attached garage)
Documents
Have your say
Your comment matters. Councils must consider every representation that raises material planning considerations.