← London Borough of Hillingdon
9135/APP/2025/223
London Borough of Hillingdon
Status
Approval
Other
Received
29 Jan 2025
New homes
0
Summary
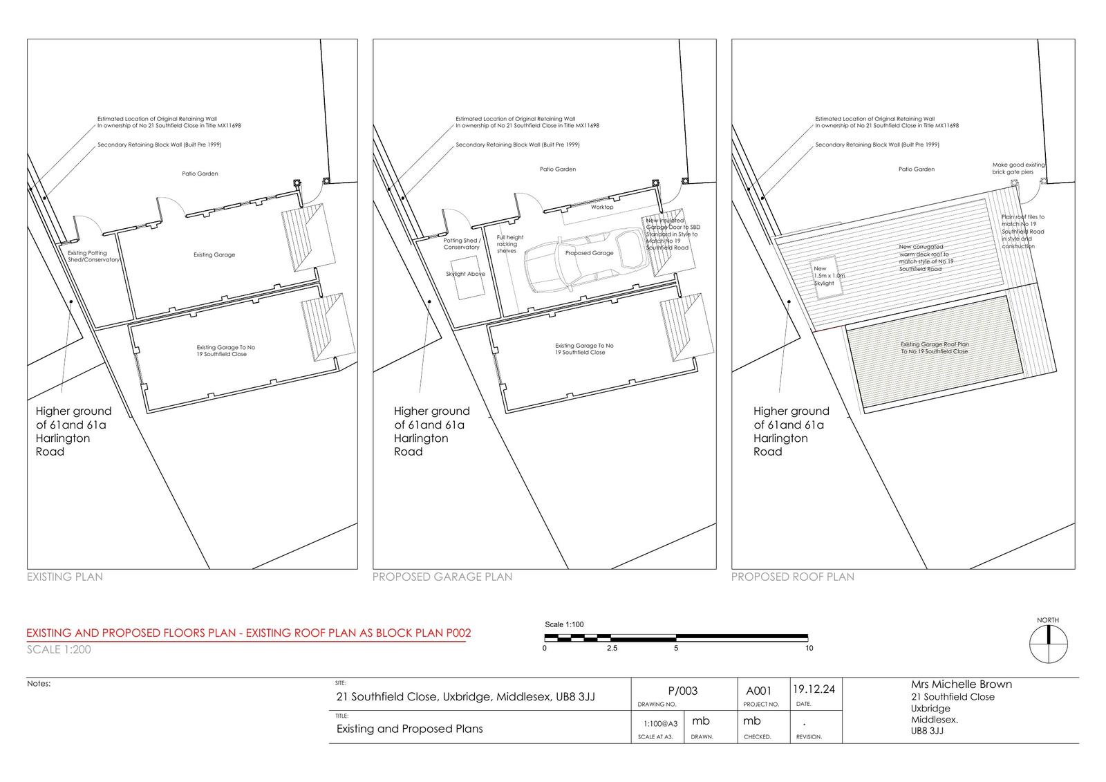
Erection of replacement garage following demolition of existing garage.
Full proposal
Erection of a garage following the demolition of the existing garage.
Documents
Have your say
Your comment matters. Councils must consider every representation that raises material planning considerations.