← Hinckley & Bosworth Borough Council

Status

Permitted New housing
Received
19 Feb 2025
New homes
2

Summary

Construction of two dwellings with altered access.

Full proposal

Erection of 2 dwellings and alterations to existing access (resubmission of 21/00901/FUL)

Documents

Application Form
1APP Public Form
Not yet archived · Original link
Biodiversity Metric 4.0 (Plots 1 -2)
Technical Assessments/Appraisals/Surveys
Not yet archived · Original link
Block Plan, Drg No. 14.127.BP
Block Plan
Not yet archived · Original link
BNG
Additional Tech Assessments/Appraisals/Surveys
Not yet archived · Original link
BNG Metric
Technical Assessments/Appraisals/Surveys
Not yet archived · Original link
BNG Metric
Additional Tech Assessments/Appraisals/Surveys
Not yet archived · Original link
Decision Notice
Decision Notice
Not yet archived · Original link
Design and Access, Planning Statement
Design Statement
Not yet archived · Original link
Ecological Appraisal
Additional Tech Assessments/Appraisals/Surveys
Not yet archived · Original link
Ecology Response
Consultation Response
Not yet archived · Original link
HBBC - Environmental Services - Pollution
Consultation Response
Not yet archived · Original link
HBBC Environmental Services - Drainage
Consultation Response
Not yet archived · Original link
LCC Ecology
Consultation Response
Not yet archived · Original link
LCC Ecology
Consultation Response
Not yet archived · Original link
LCC Ecology
Consultation Response
Not yet archived · Original link
LCC Highways
Consultation Response
Not yet archived · Original link
LCC Minerals and Waste
Consultation Response
Not yet archived · Original link
Officer Report
Delegated Report - Officer
Not yet archived · Original link
Development Control Plans
Archived · Original link
Planting Areas
Development Control Plans
Not yet archived · Original link
Preliminary Ecological Appraisal Report
Technical Assessments/Appraisals/Surveys
Not yet archived · Original link
Proposed Floor Plan, Elevations, Sheet 2 of 2, Drg No. 14.127.05
Development Control Plans
Not yet archived · Original link
Severn Trent Water
Consultation Response
Not yet archived · Original link
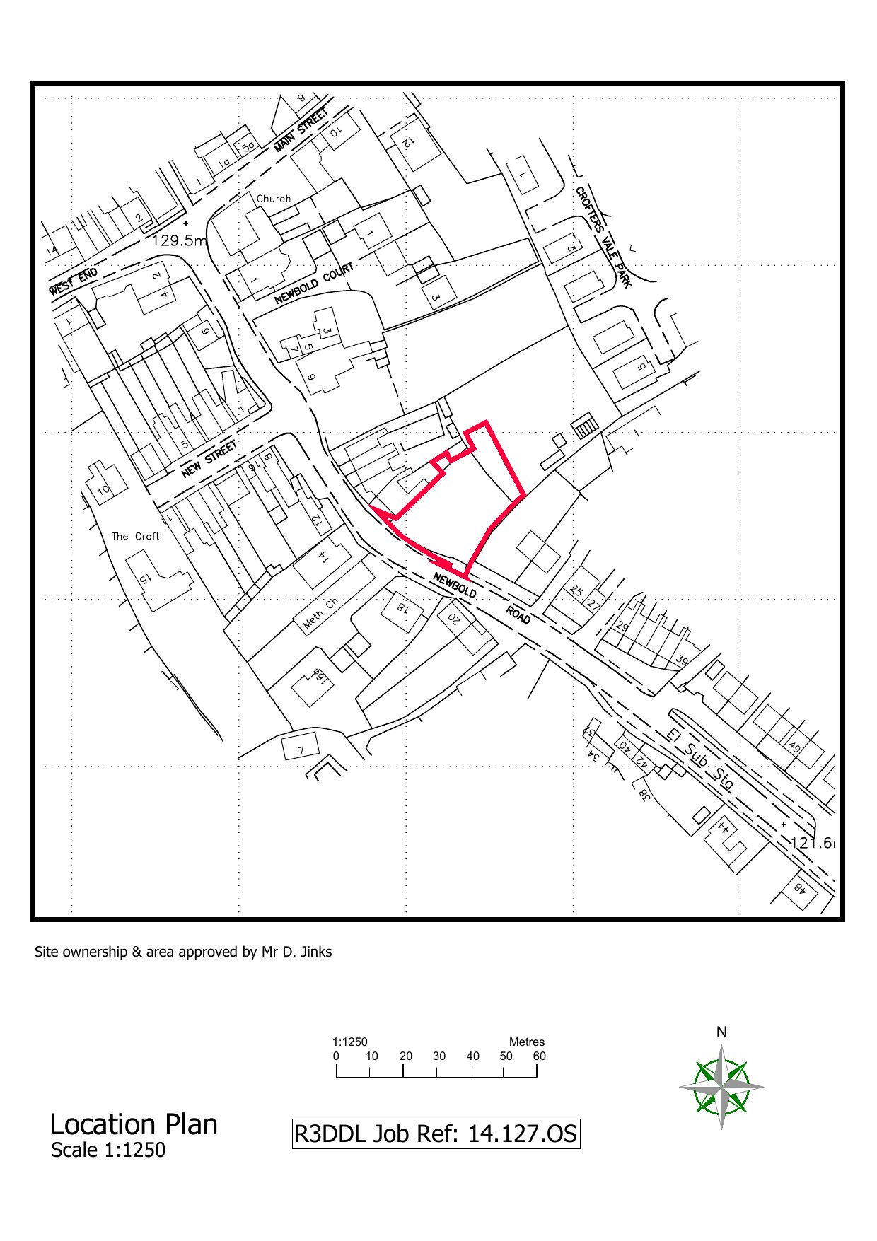
Site Location Plans
Archived · Original link
Site Notice
Public Notice
Not yet archived · Original link
Small Sites - BNG
Technical Assessments/Appraisals/Surveys
Not yet archived · Original link
Topographical Site Survey Plan, Drg No. 19020-19-01
Development Control Plans
Not yet archived · Original link
Updated Ecological Appraisal and Biodiversity Net Gain Statement
Additional Tech Assessments/Appraisals/Surveys
Not yet archived · Original link

Have your say

Your comment matters. Councils must consider every representation that raises material planning considerations.

Write a comment