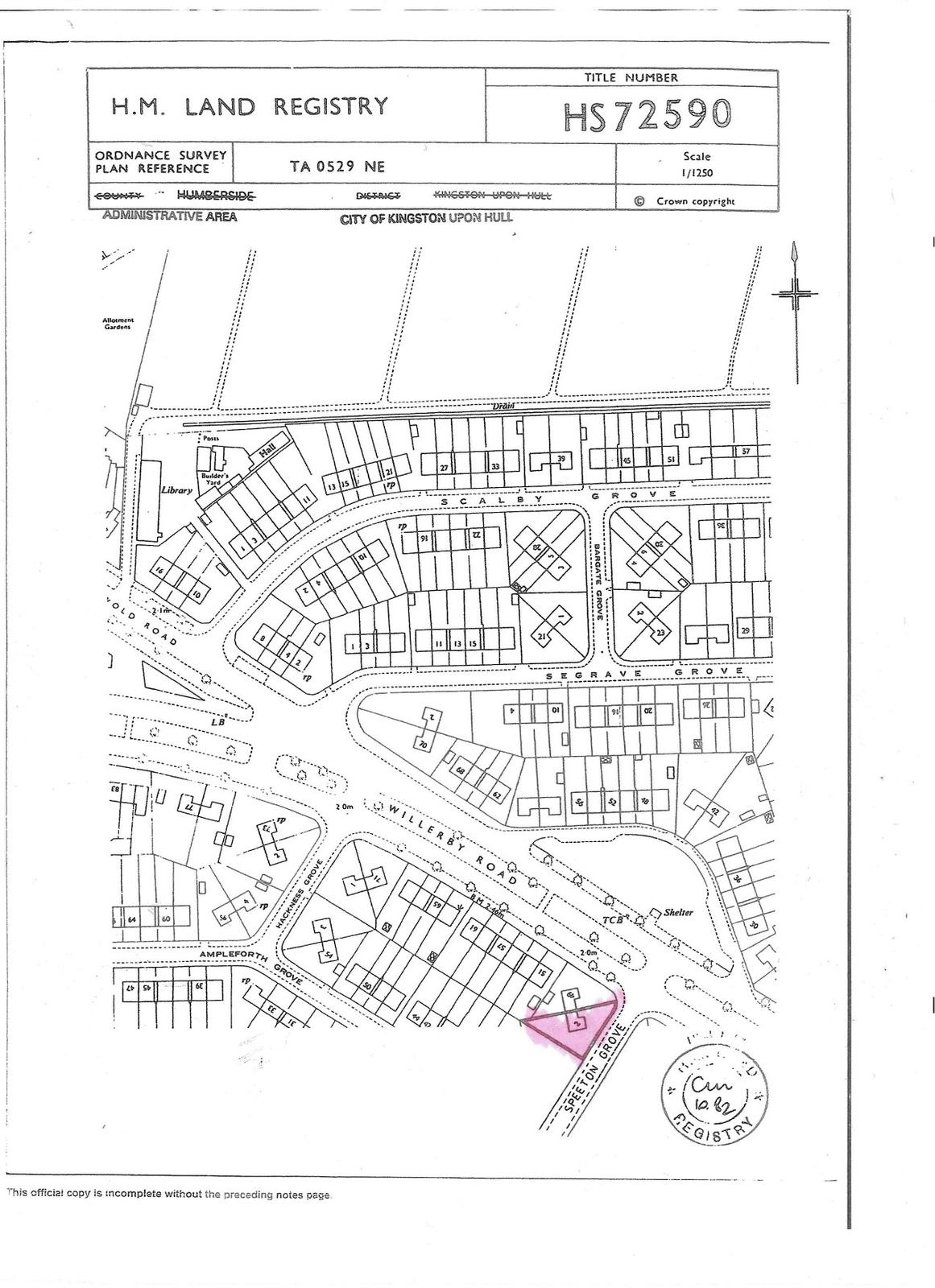
← Hull City Council

Status

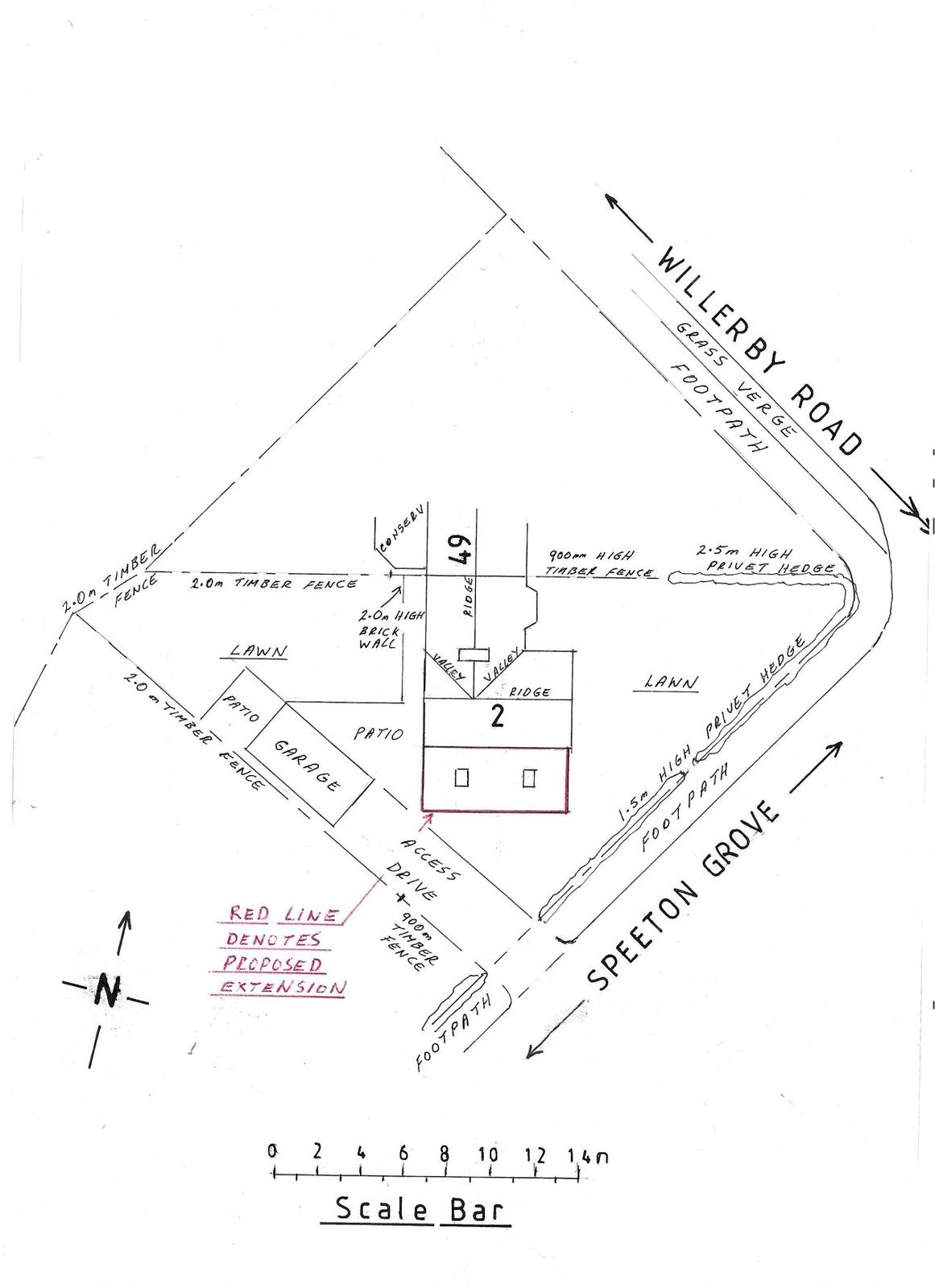
Pending Consideration House extension
Received
20 Jan 2026
New homes
0

Full proposal

Erection of single storey mono-pitched (dining room/bathroom) side extension (3m wide x full length x 3.9m (max) high).

Documents

Drawing
Archived · Original link
Drawing
Archived · Original link

Have your say

Your comment matters. Councils must consider every representation that raises material planning considerations.

Write a comment