← Hyndburn Borough Council

Status

Pending House extension
Received
Not recorded
New homes
0

Full proposal

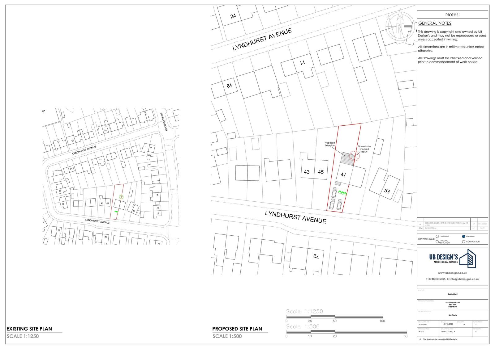
47 Lyndhurst Avenue, Oswaldtwistle, Lancashire, BB1 3NH | Full Planning Application | Householder: Erection of front porch and part two storey, part single storey rear extension | Application No: 11/25/0356 | Decided: 05 November 2025

Documents

Application Form
Redacted Application Form
Not yet archived · Original link
Constraints 11-25-0356
Background Papers
Not yet archived · Original link
Decision Notice
Decision notice
Not yet archived · Original link
Existing and Proposed Location Plan
CAD Drawing
Not yet archived · Original link
Existing Floor Plans And Elevations
CAD Drawing
Not yet archived · Original link
HBC Ecology
Statutory Consultee Response
Not yet archived · Original link
LCC Highways
Statutory Consultee Response
Not yet archived · Original link
Officers Report
Officer's Report - final
Not yet archived · Original link
PROPOSED FLOOR PLAN AND ELEVATIONS (AMENDED)
CAD Drawing
Not yet archived · Original link
PROPOSED FLOOR PLAN AND ELEVATIONS(AMENDED)
CAD Drawing
Not yet archived · Original link

Have your say

Your comment matters. Councils must consider every representation that raises material planning considerations.

Write a comment