← Lambeth

Status

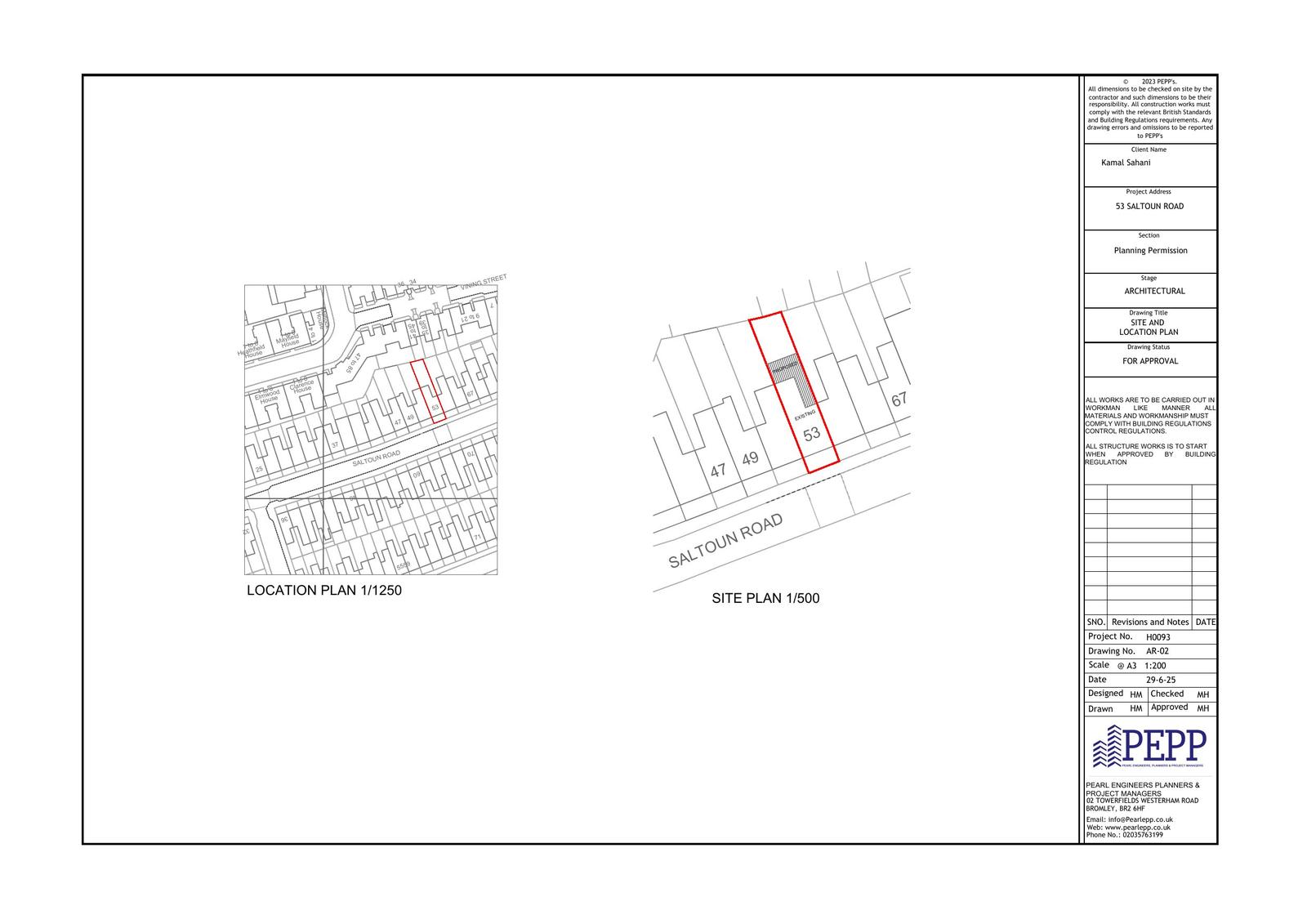
Awaiting decision House extension
Received
03 Jan 2026
New homes
0

Full proposal

Erection of a single-storey ground floor rear and side extension with a courtyard, together with erection of a rear 'L-shaped' roof extension with a roof terrace including green roof and the installation of three front roof lights, and solar photovoltaic panels to the rear.

Have your say

Your comment matters. Councils must consider every representation that raises material planning considerations.

Write a comment