← Lancaster City Council

Status

Decided Change of use
Received
09 Jun 2025
New homes
0

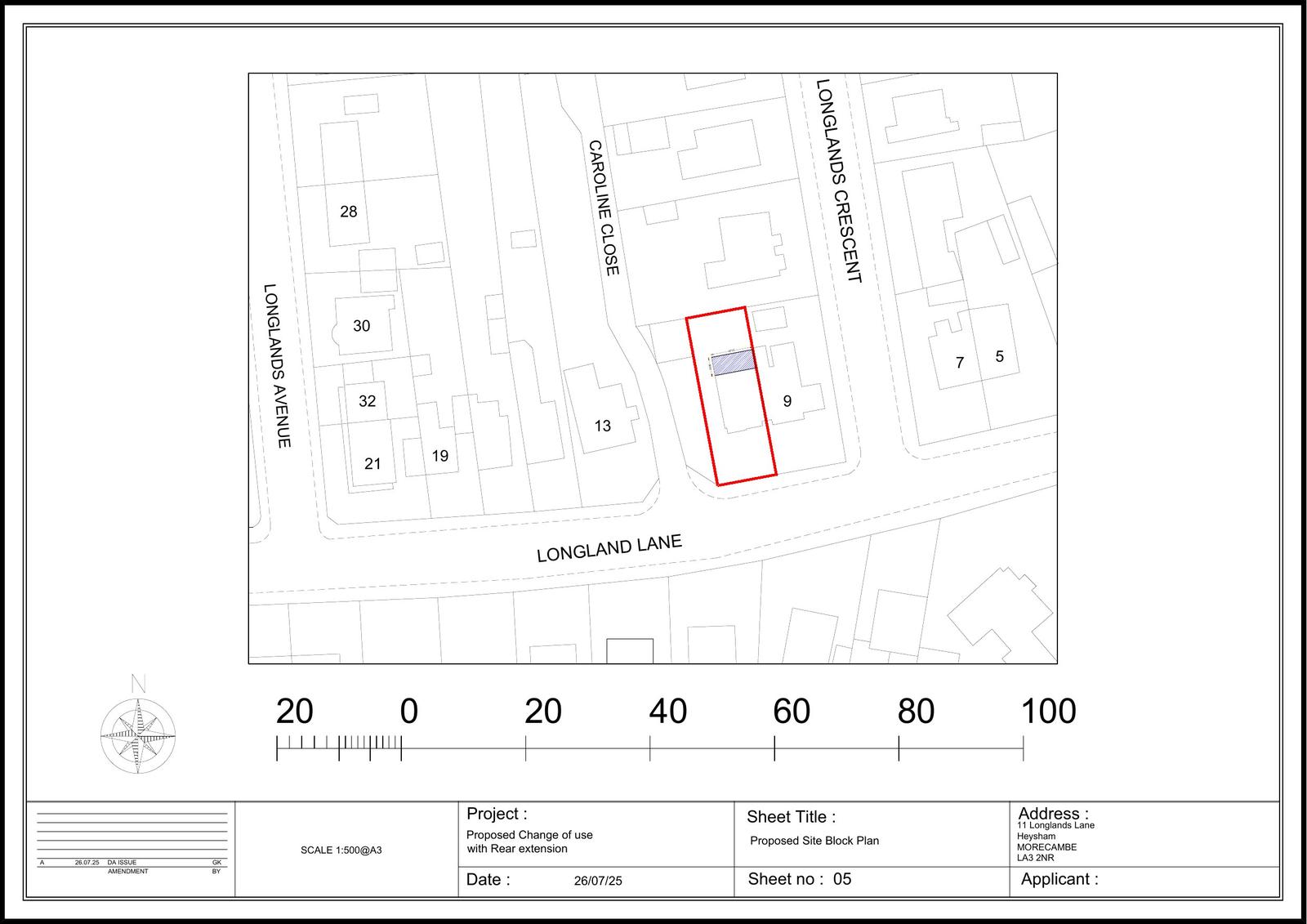
Full proposal

Change of use and conversion of two flats into single dwelling and erection of a single storey rear extension

Documents

Application form
Application Forms (p)
Not yet archived · Original link
consultee response - county highways
Consultee Response (p)
Not yet archived · Original link
Decision notice
Decision Notices (p)
Not yet archived · Original link
Existing elevations
Plans (p)
Not yet archived · Original link
Existing floor plans
Plans (p)
Not yet archived · Original link
Location plan
Site Location Plans (p)
Not yet archived · Original link
Officer report
Officer Report (p)
Not yet archived · Original link
Proposed elevations
Plans (p)
Not yet archived · Original link
Plans (p)
Archived · Original link
Plans (p)
Archived · Original link

Have your say

Your comment matters. Councils must consider every representation that raises material planning considerations.

Write a comment