← Leeds City Council

Status

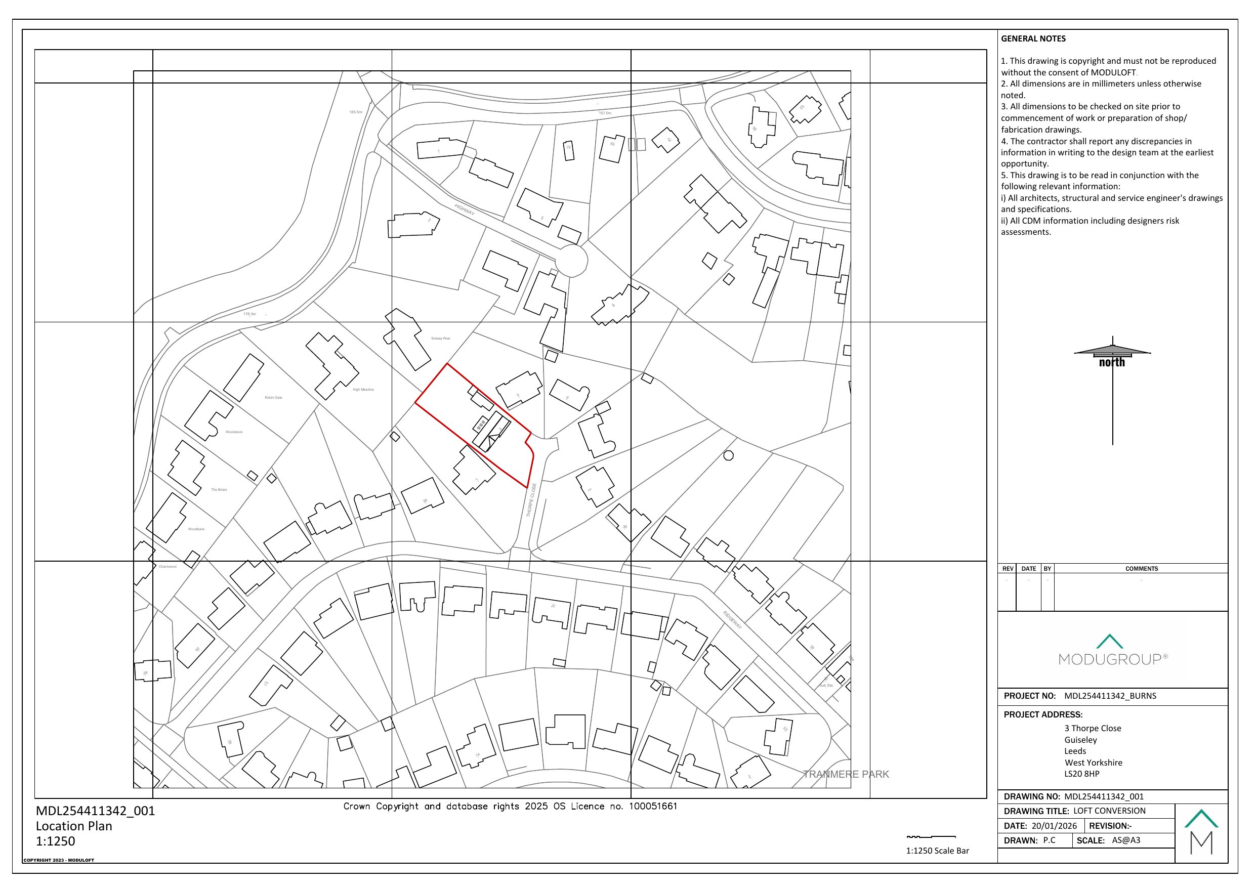
Current House extension
Received
Not recorded
New homes
0

Full proposal

Loft conversion including raising of roof height and dormer window to rear; new rooflights to front

Have your say

Your comment matters. Councils must consider every representation that raises material planning considerations.

Write a comment