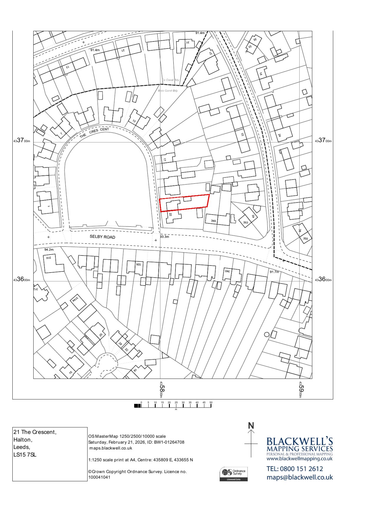
← Leeds City Council

Status

Current House extension
Received
Not recorded
New homes
0

Full proposal

Demolition of rear extension and detached garage; construction of part single storey, part two storey side and rear extension; reduction in ground floor window to side; two new first floor windows to side

Documents

Drawing
Archived · Original link
Drawing
Archived · Original link
Application Form
Archived · Original link
Drawing
Archived · Original link

Have your say

Your comment matters. Councils must consider every representation that raises material planning considerations.

Write a comment