← Luton Borough Council

Status

PER - Application Permitted Change of use
Received
10 Mar 2025
New homes
0

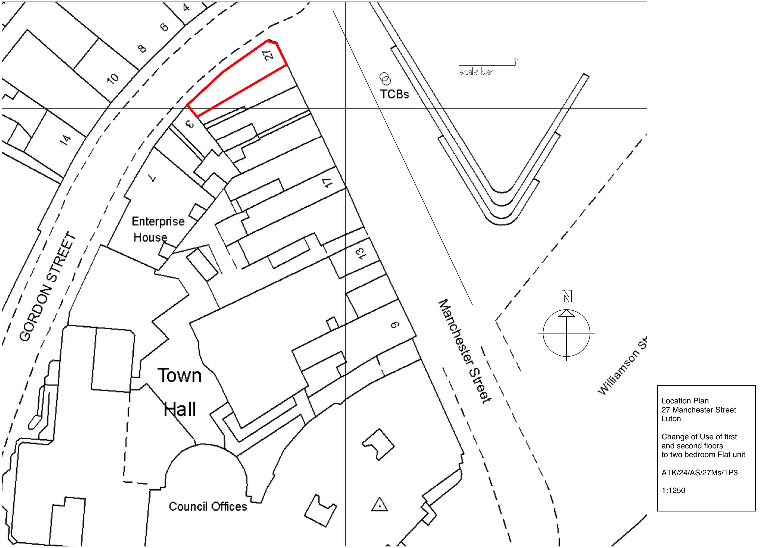
Full proposal

Conversion of first and second floor into one two bedroom flat

Documents

APPLICATION FORM
Application Form
Not yet archived · Original link
ATK/24/AS/27MS - TP5 BLOCK PLAN
Current Docs
Not yet archived · Original link
atk/24/AS/27ms TP1A - Floor Plans with GI.A
Current Docs - ADDITIONAL
Not yet archived · Original link
ATK/24/AS/27MS-TP2 EXISTING & PROPOSED ELEVATIONS
Current Docs
Not yet archived · Original link
CASE OFFICER REPORT
Case Officer Report
Not yet archived · Original link
DC01 PLANNING STATEMENT - HERITAGE STATEMENT
Current Docs
Not yet archived · Original link
DC02 - Design and Access Statmeent
Current Docs - ADDITIONAL
Not yet archived · Original link
DECISION NOTICE
Decision Notice
Not yet archived · Original link
ENVIRONMENTAL PROTECTION
Comment - Consultee
Not yet archived · Original link

Have your say

Your comment matters. Councils must consider every representation that raises material planning considerations.

Write a comment