24/0822
Newport City Council
Status
Decided
Change of use
Received
07 Oct 2024
New homes
0
Full proposal
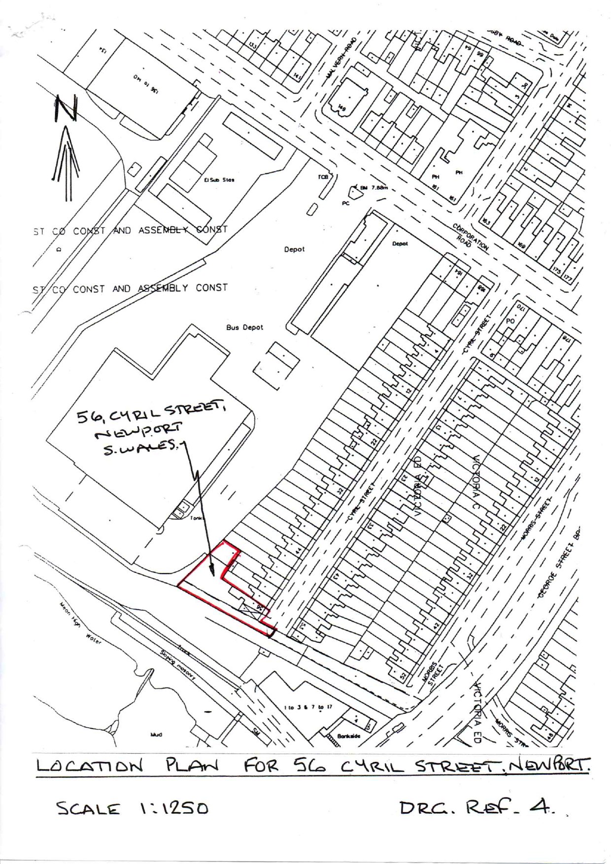
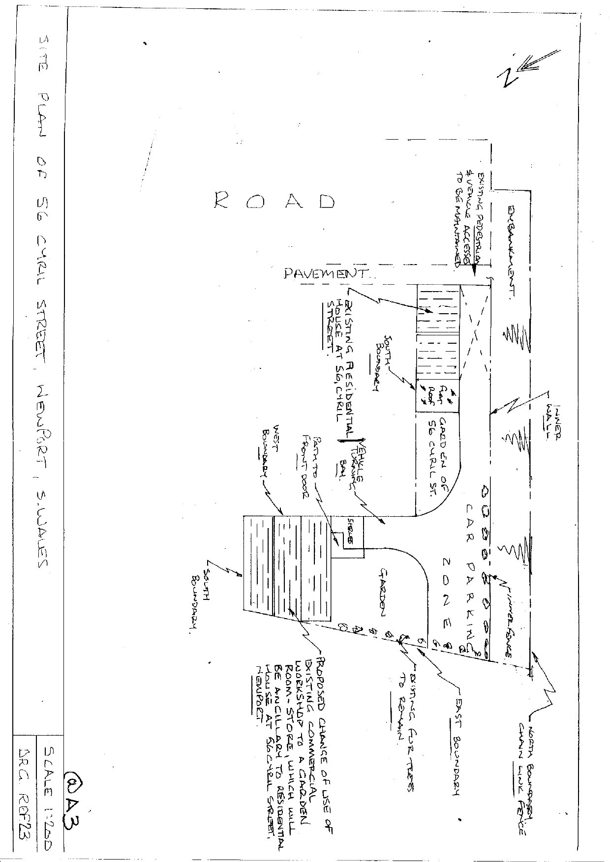
PROPOSED CHANGE OF USE OF COMMERCIAL WORKSHOP AND ASSOCIATED LAND TO RESIDENTIAL USE IN ASSOCIATION WITH THE DWELLING AT 56 CYRIL STREET
Documents
Have your say
Your comment matters. Councils must consider every representation that raises material planning considerations.