← North Somerset Council

Status

Awaiting decision House extension
Received
15 Jan 2026
New homes
0

Full proposal

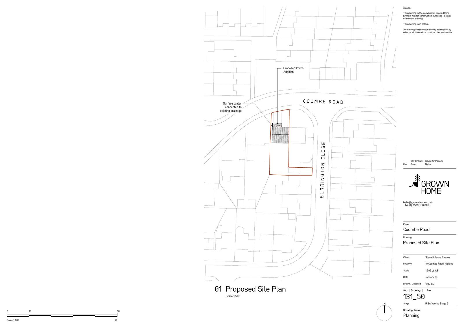
Proposed demolition of existing canopy porch and erection of a single storey front porch extension.

Documents

Plan
Archived · Original link
Plan
Archived · Original link
Plan
Archived · Original link
Amended Plan
Archived · Original link
Amended Plan
Archived · Original link
Amended Plan
Archived · Original link

Have your say

Your comment matters. Councils must consider every representation that raises material planning considerations.

Write a comment