← North Yorkshire Council

Status

Registered House extension
Received
Last month
New homes
0

Full proposal

Demolition of existing Garage. Erection of first floor side extension, part two-storey, part single-storey rear extension, two-storey front extension, loft conversion and new detached garage with studio over. Alterations to fenestration. Widening of existing highway crossing and erection entrance gates, gate posts and railings. Widening of existing driveway.

Documents

Superseded
Archived · Original link
Application Form
Archived · Original link
Supporting Information
Archived · Original link
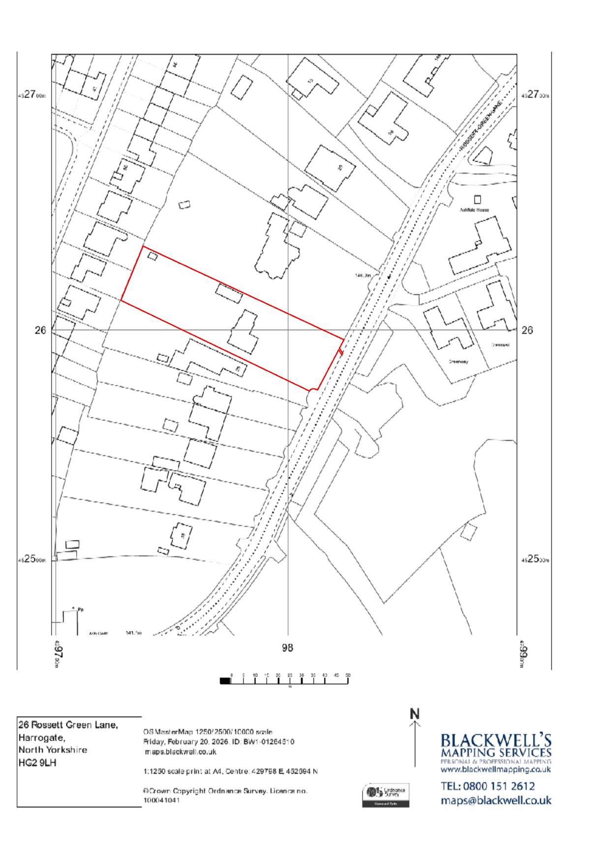
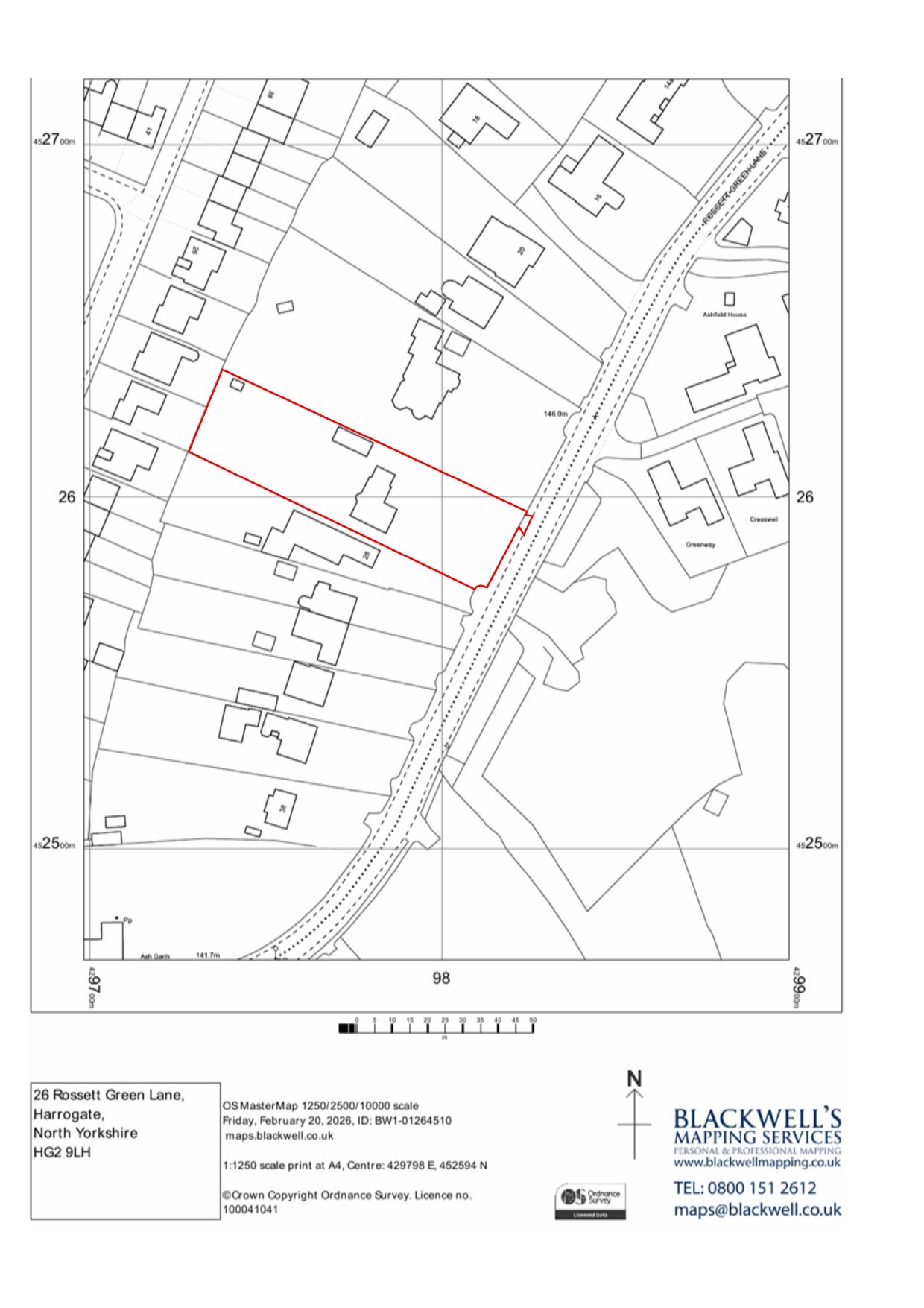
Location Plan
Archived · Original link
Superseded
Archived · Original link
Supporting Information
Archived · Original link

Have your say

Your comment matters. Councils must consider every representation that raises material planning considerations.

Write a comment