← North Yorkshire Council

Status

Awaiting decision New housing
Received
03 Dec 2024
New homes
5

Summary

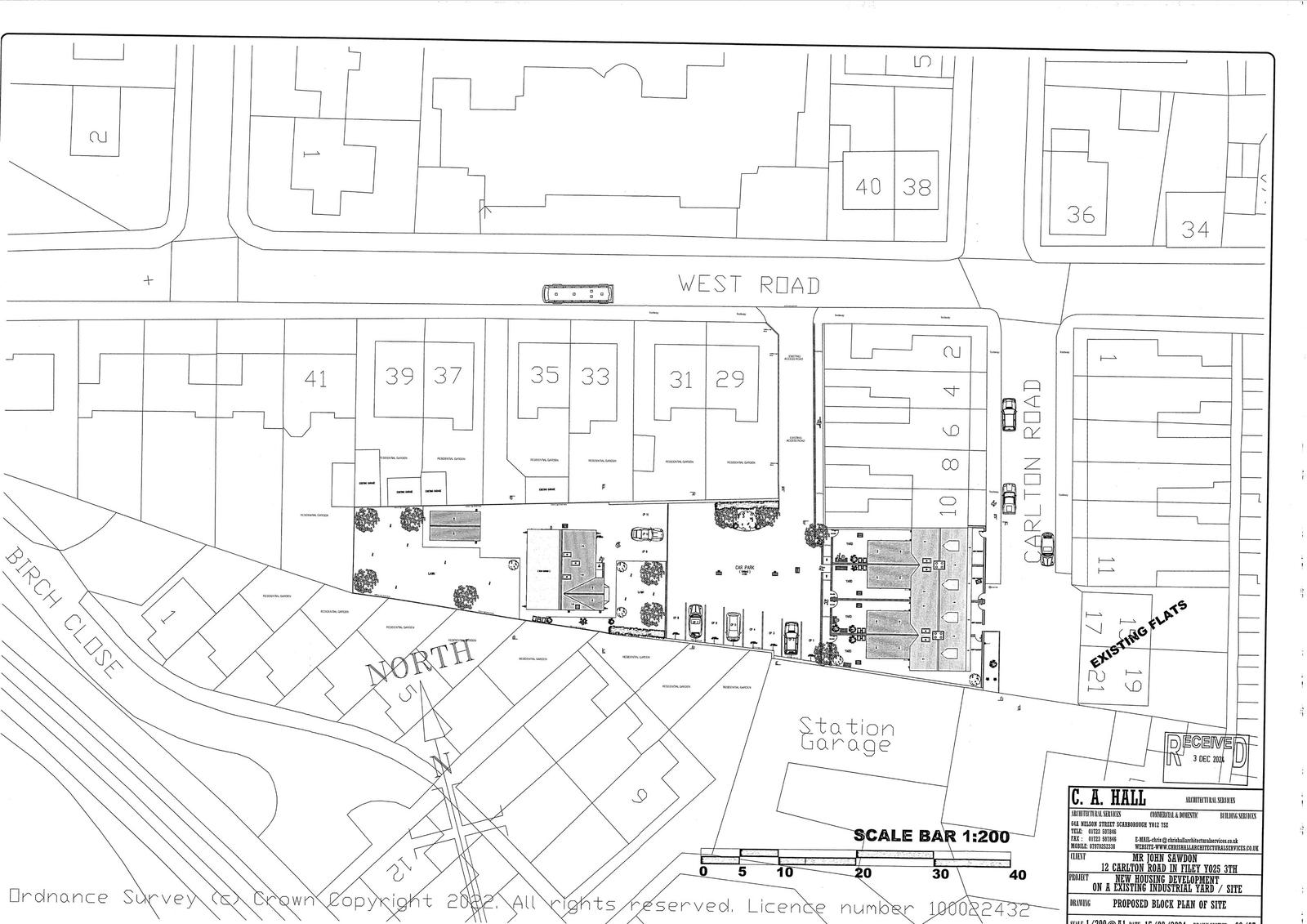
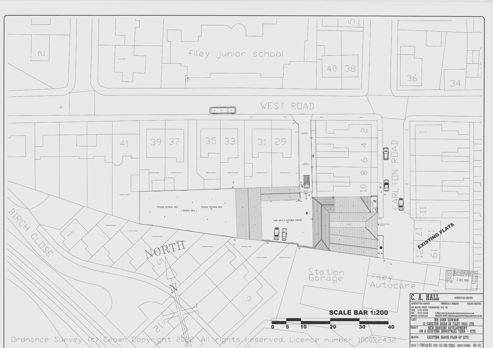
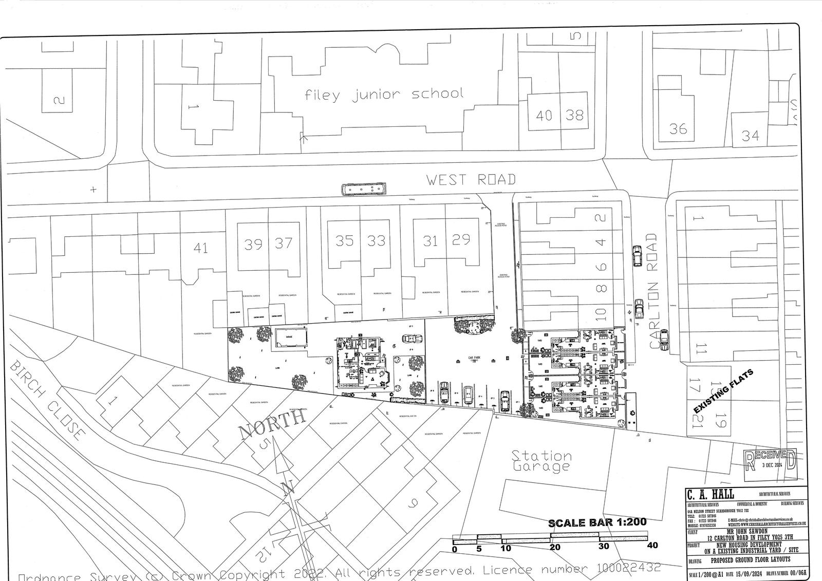
Demolish commercial properties and erect four houses and one bungalow with onsite parking.

Full proposal

Demolition of commercial properties and erection of 4no. dwellinghouses and 1no. bungalow with on site parking

Documents

Application Form
Archived · Original link
Plan
Archived · Original link
Supporting Information
Archived · Original link
Consultee Comment
Archived · Original link
Consultee Comment
Archived · Original link
Consultee Comment
Archived · Original link
Consultee Comment
Archived · Original link
Supporting Information
Archived · Original link
Consultee Comment
Archived · Original link
Location Plan
Archived · Original link
Supporting Information
Archived · Original link
The Statutory Biodiversity Metric Calculation
Supporting Information
Not yet archived · Original link

Have your say

Your comment matters. Councils must consider every representation that raises material planning considerations.

Write a comment