← Oxford City Council

Status

Registered House extension
Received
11 Dec 2025
New homes
0

Full proposal

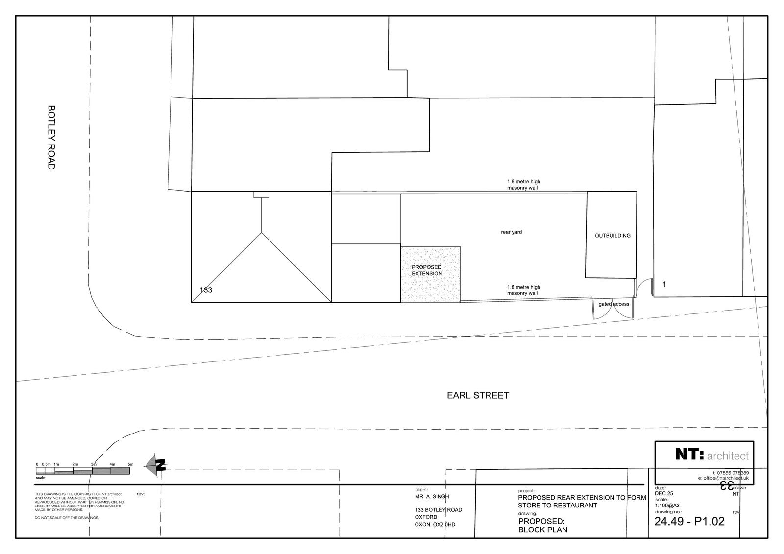
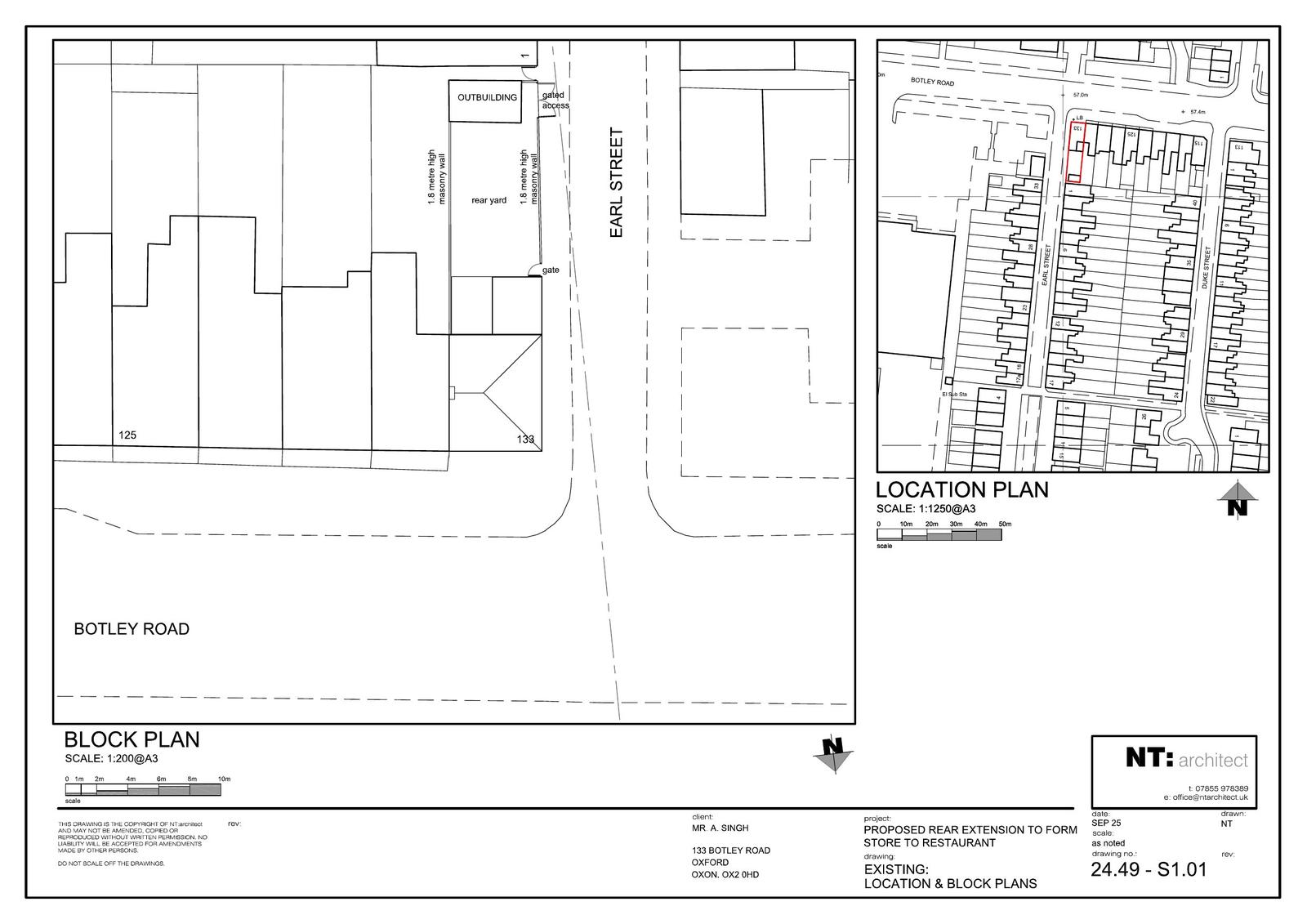
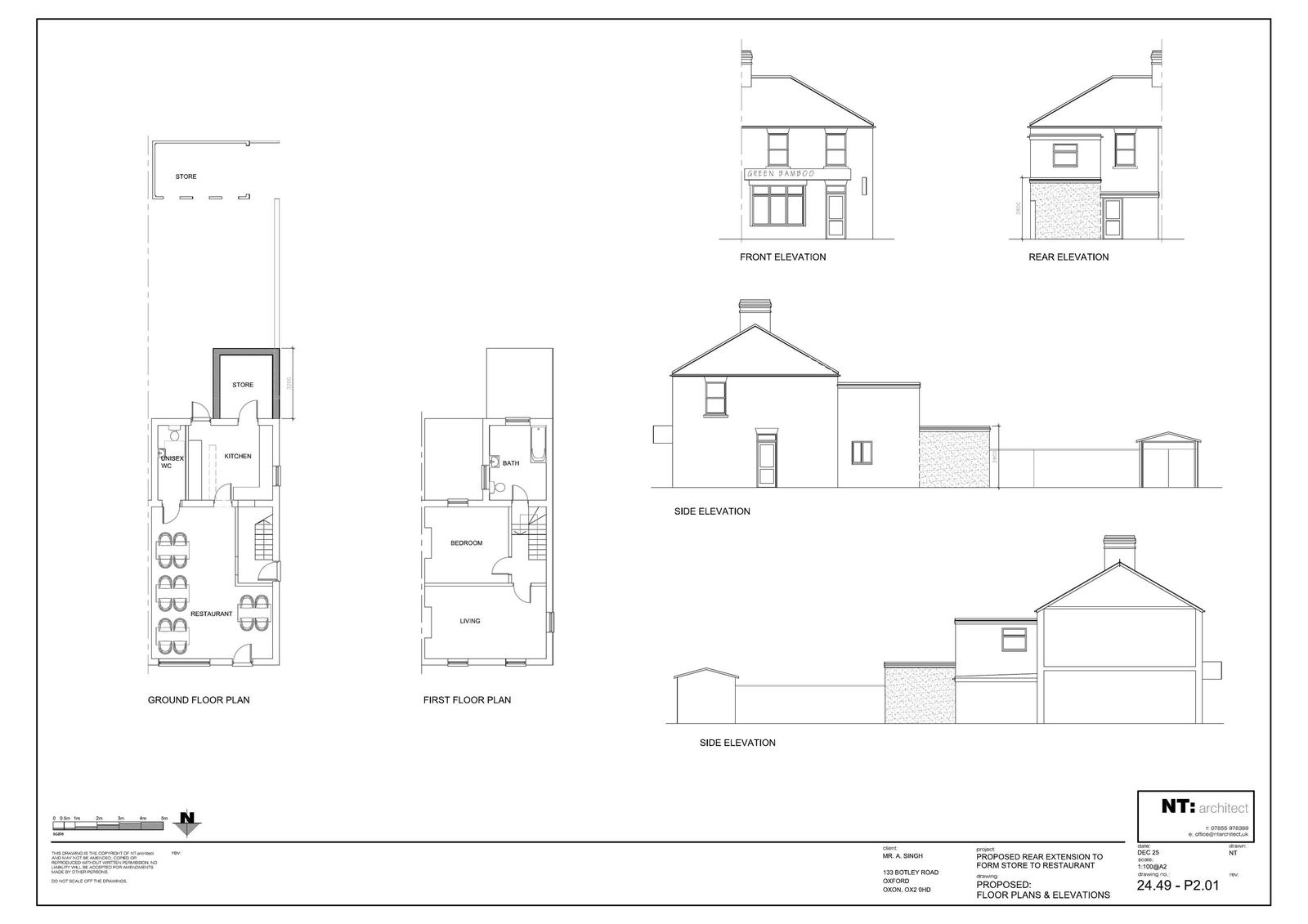
Erection of a single storey rear extension (retrospective).

Have your say

Your comment matters. Councils must consider every representation that raises material planning considerations.

Write a comment