26/0149/HHO
Pendle Borough Council
Status
Registered
House extension
Received
Last month
New homes
0
Full proposal
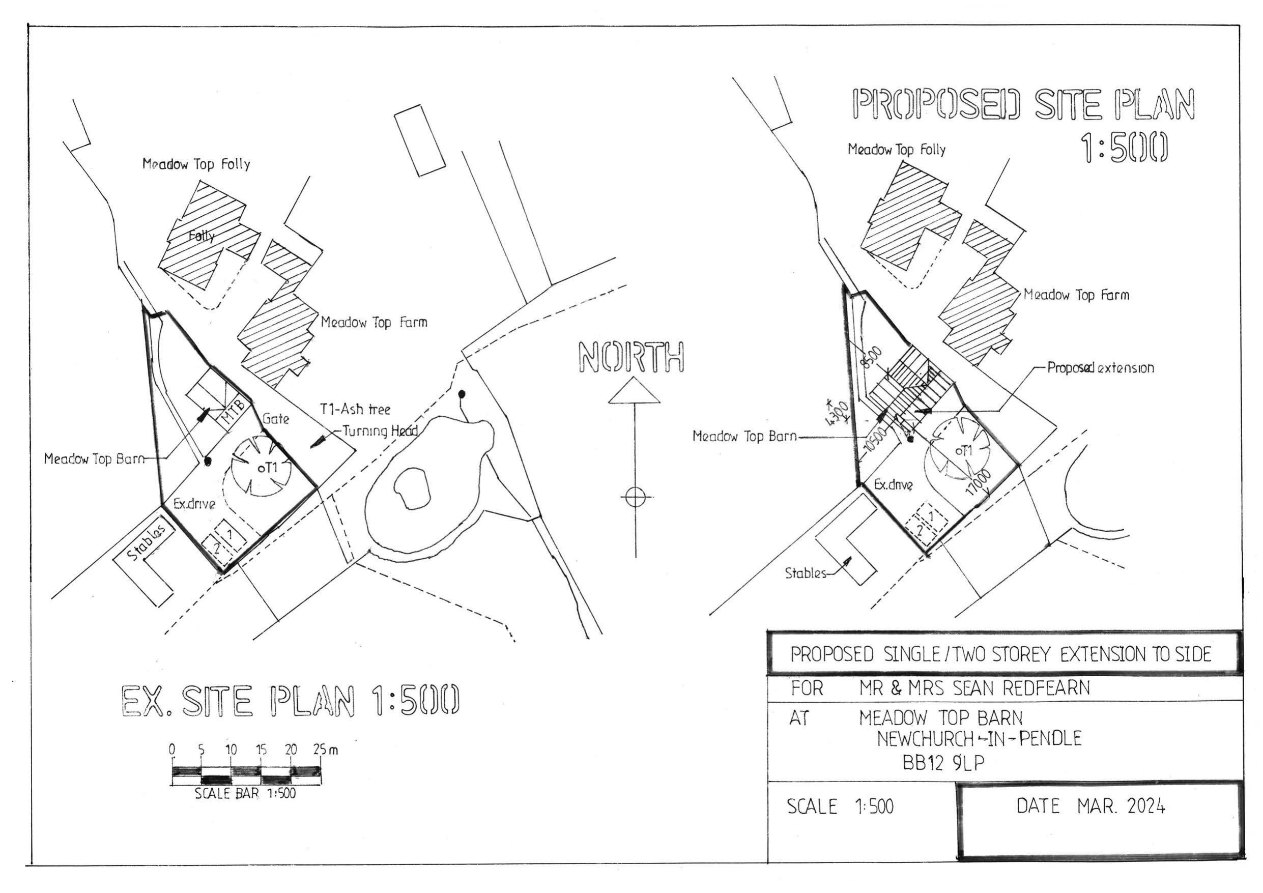
Full: Erection of a part single storey and part two-storey side extension with additional fenestration to the South-West elevation.
Documents
Have your say
Your comment matters. Councils must consider every representation that raises material planning considerations.