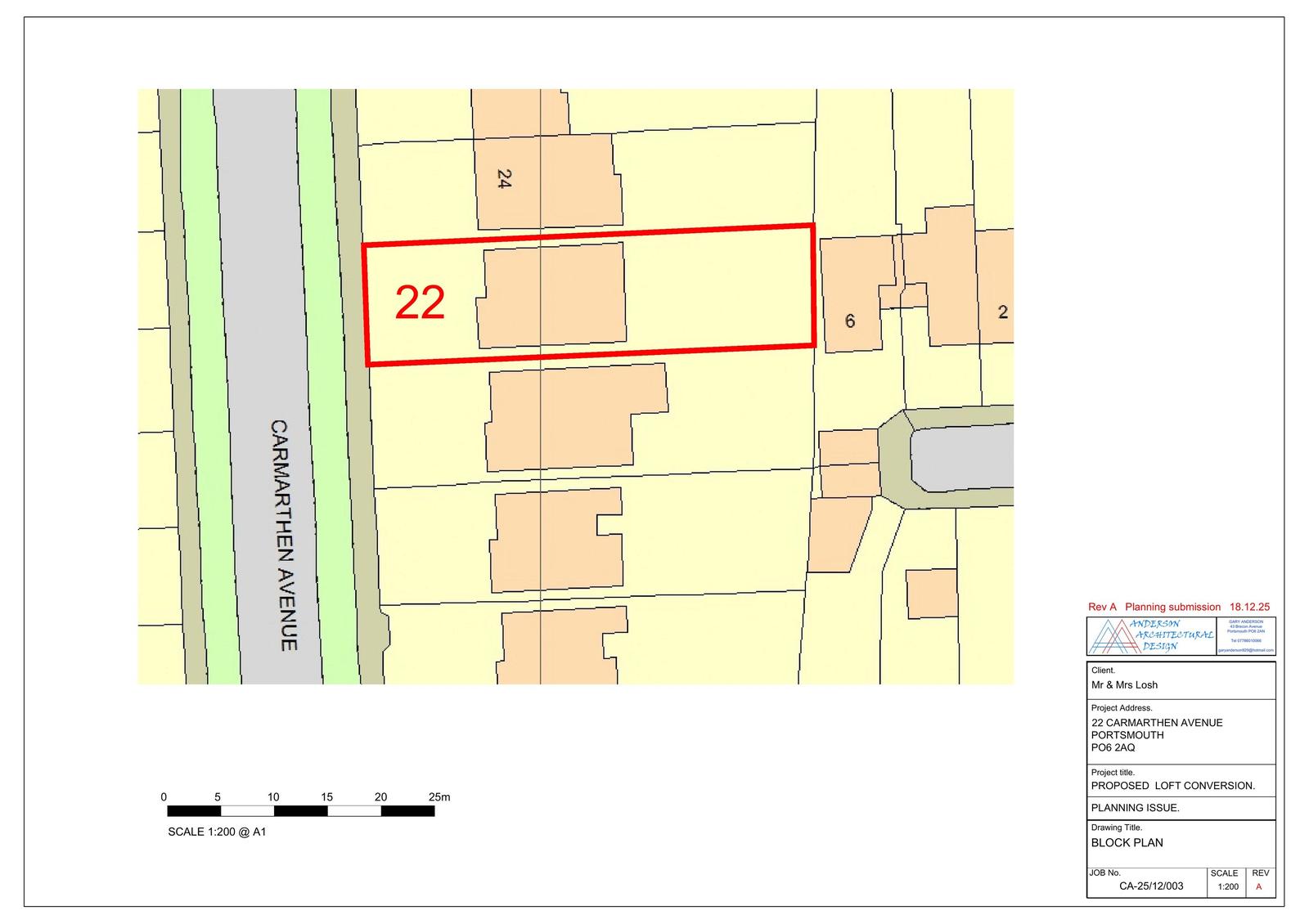
25/01456/HOU
Portsmouth City Council
Status
Awaiting decision
House extension
Received
12 Dec 2025
New homes
0
Full proposal
Alterations to roof to include hip to gable buildup, construction of dormer windows to rear roofslopes and balcony
Documents
Have your say
Your comment matters. Councils must consider every representation that raises material planning considerations.