← Ribble Valley Borough Council

Status

Decided - Final Decision New housing
Received
28 Nov 2024
New homes
1

Full proposal

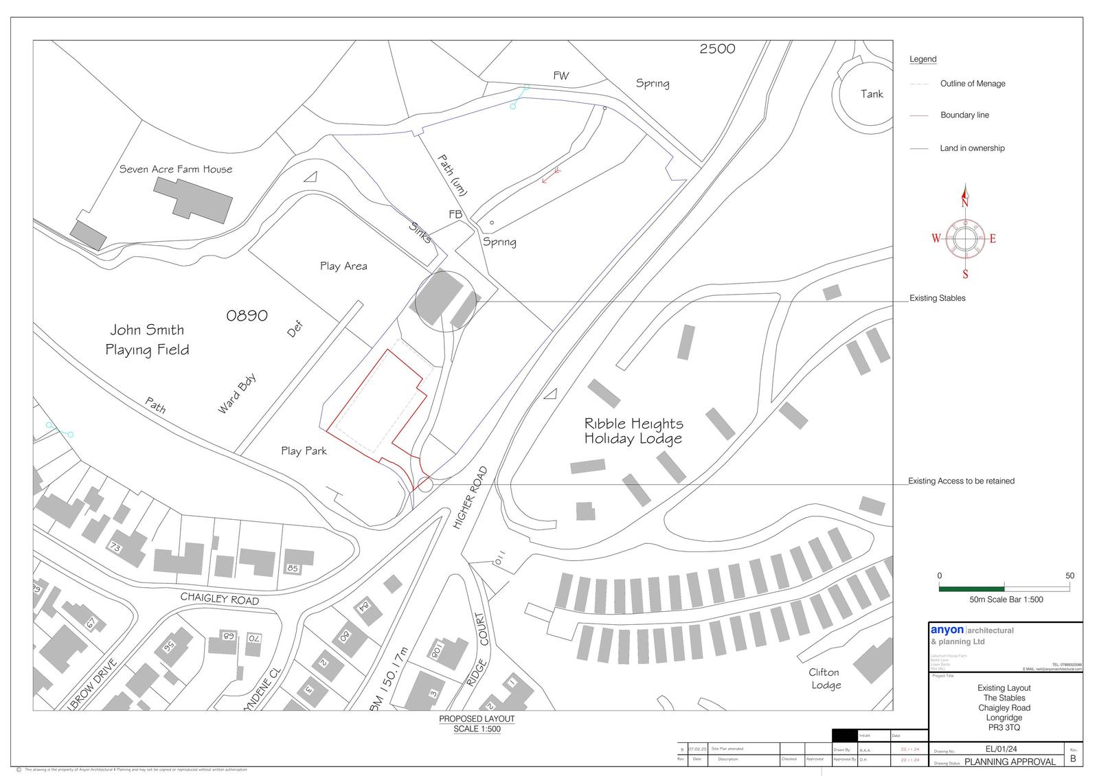
Application in principle Permission in Principle for the erection of one self-build dwelling.

Documents

24 0976 Decision notice.docx
Document
Not yet archived · Original link
24 0976 Delegated Report.docx
Document
Not yet archived · Original link
Document
Archived · Original link

Have your say

Your comment matters. Councils must consider every representation that raises material planning considerations.

Write a comment