← Ribble Valley Borough Council

Status

Withdrawn Change of use
Received
07 Mar 2025
New homes
3

Full proposal

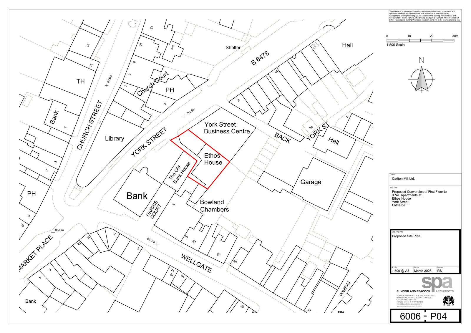
Applications for full consent Change of use of restaurant (use class E) to offices on the ground floor, and three one-bedroom apartments (use class C3) on the first floor, including external alterations to the building.

Documents

25 0197 Application Form
Document
Not yet archived · Original link
25 0197 Existing Plans
Document
Not yet archived · Original link
25 0197 Highways response
Document
Not yet archived · Original link
25 0197 Location Plan
Document
Not yet archived · Original link
25 0197 Neighbour Notification
Document
Not yet archived · Original link
25 0197 Planning Statement
Document
Not yet archived · Original link
Document
Archived · Original link

Have your say

Your comment matters. Councils must consider every representation that raises material planning considerations.

Write a comment