← Rochdale Borough Council

Status

Pending New housing
Received
Not recorded
New homes
8

Summary

Residential development for 8 dwellings.

Full proposal

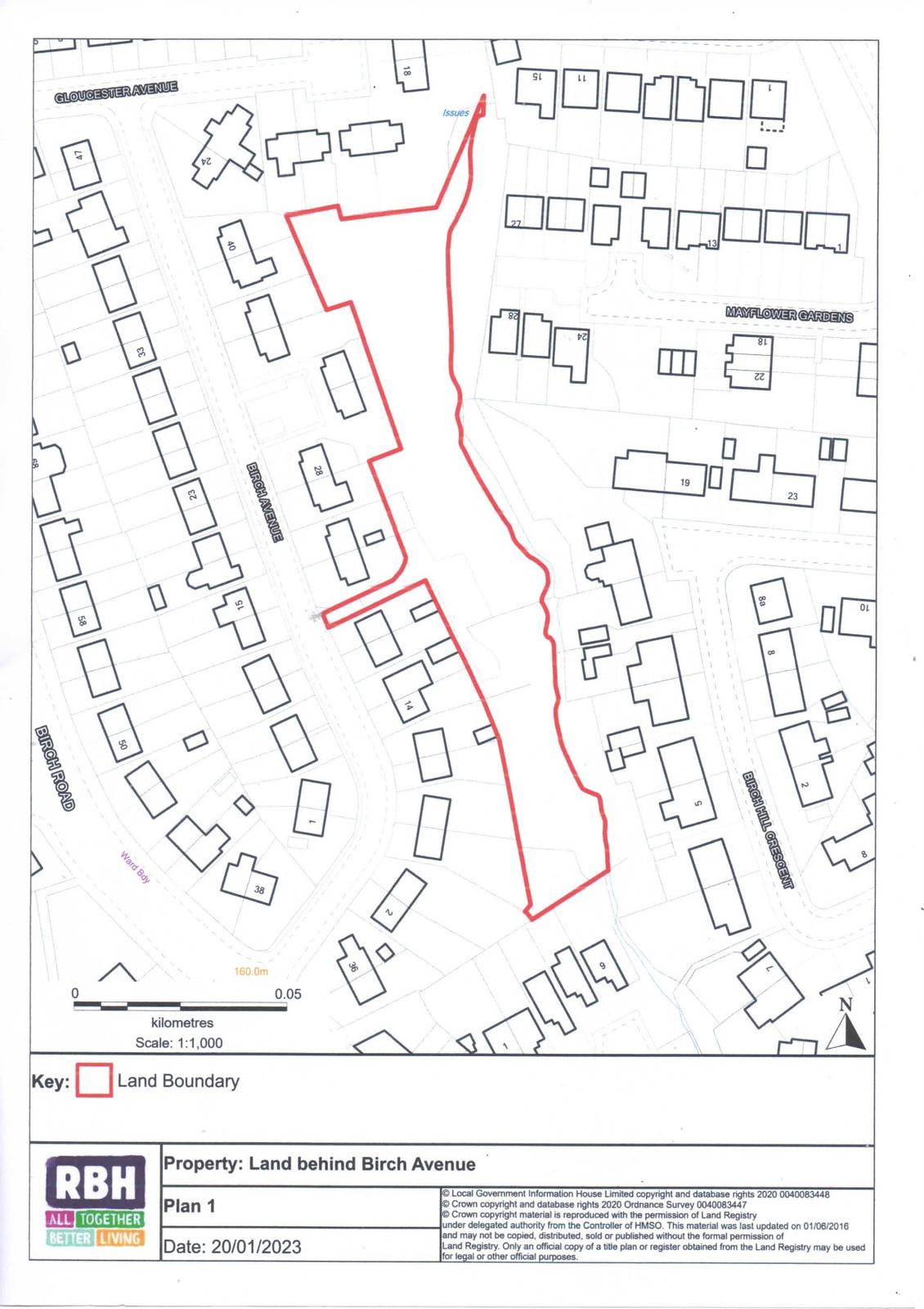
Reference 25/00971/PIP Application type Permission in Principle Site address Land Rear Of 22 Birch Avenue, Wardle, OL12 9QH Description Application for permission in principle for residential development of up to 8 dwellings. Status Decision Made Decision Approve

Documents

Uncategorised
Archived · Original link
Uncategorised
Archived · Original link
Uncategorised
Archived · Original link
Uncategorised
Archived · Original link
Uncategorised
Archived · Original link
Uncategorised
Archived · Original link
Uncategorised
Archived · Original link
Uncategorised
Archived · Original link

Have your say

Your comment matters. Councils must consider every representation that raises material planning considerations.

Write a comment