← Rochdale Borough Council

Status

Pending House extension
Received
Not recorded
New homes
0

Full proposal

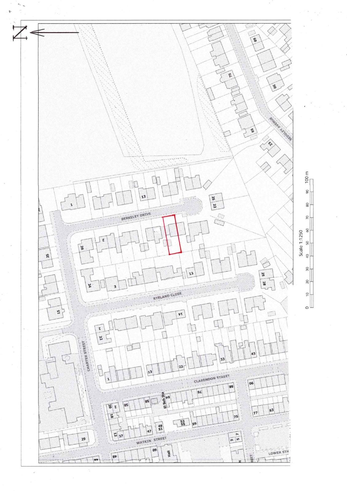
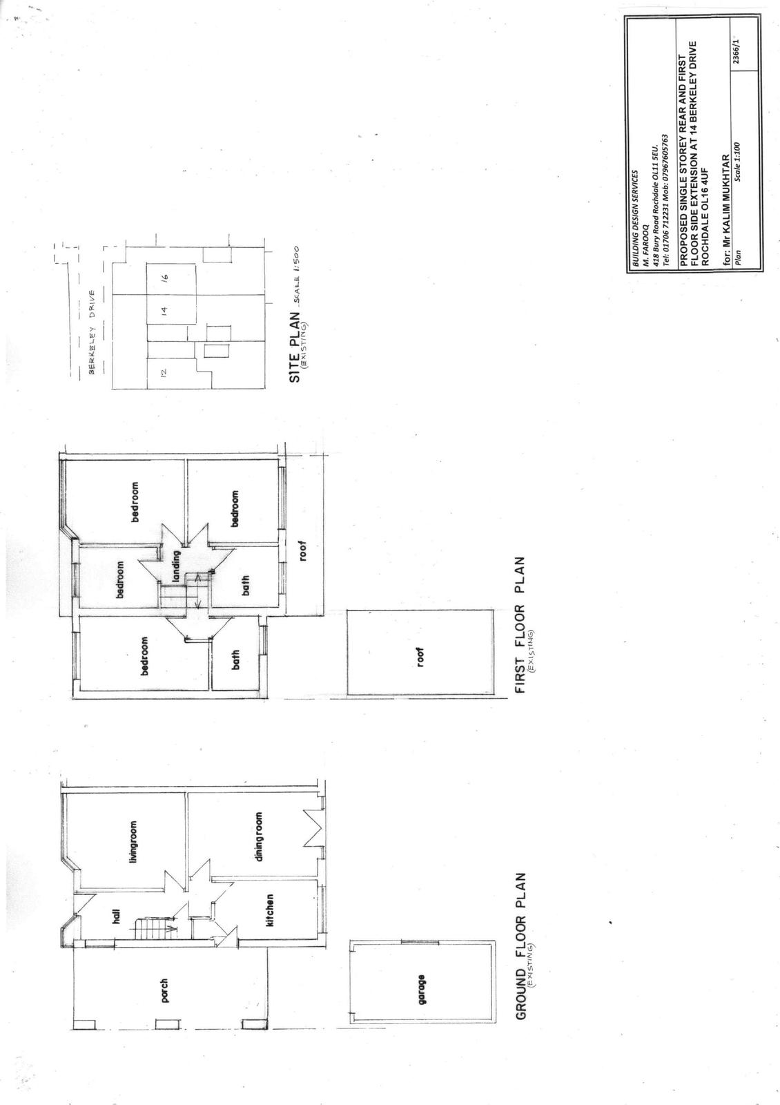
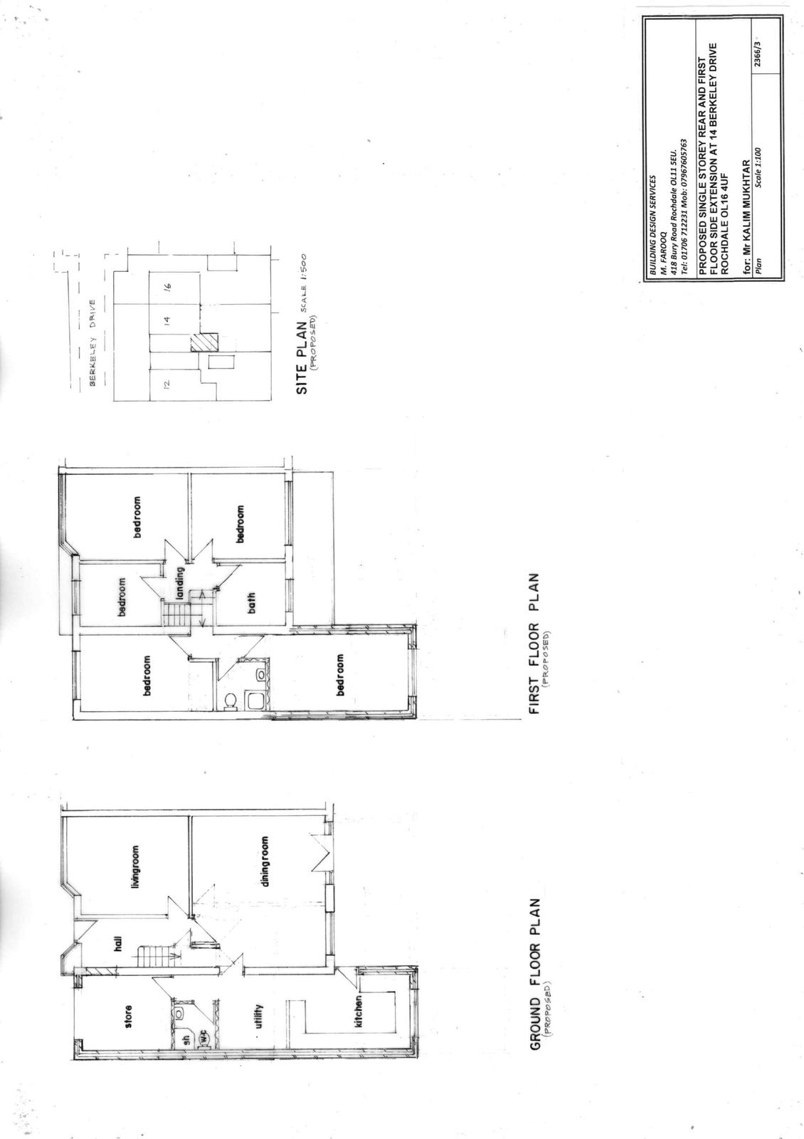
Reference 25/01170/HOUS Application type Householder planning permission Site address 14 BERKELEY DRIVE, ROCHDALE, OL16 4UF Description Single storey infill extension to side (below existing first floor extension) and two storey rear extension, following demolition of detached garage Status Under Consultation Decision

Documents

Uncategorised
Archived · Original link
Uncategorised
Archived · Original link
Uncategorised
Archived · Original link
Uncategorised
Archived · Original link
Uncategorised
Archived · Original link
Uncategorised
Archived · Original link

Have your say

Your comment matters. Councils must consider every representation that raises material planning considerations.

Write a comment