← Rossendale Borough Council

Status

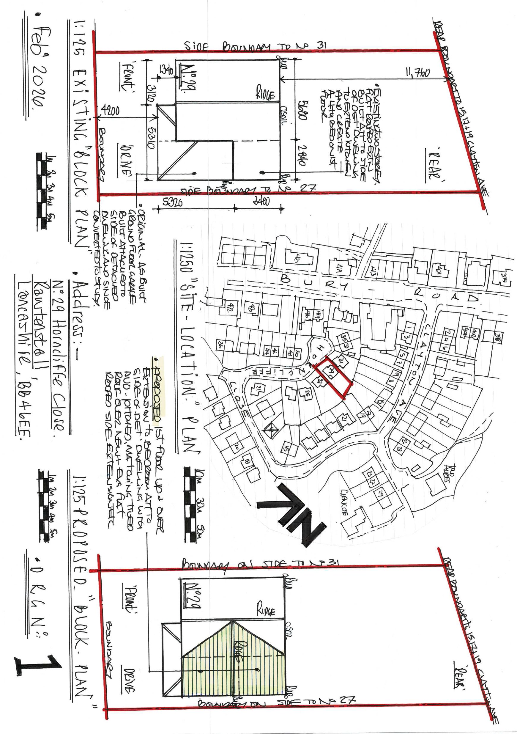
Pending Consideration House extension
Received
Last month
New homes
0

Full proposal

1st floor up and over bedroom extension to the side of the existing dwelling and onto the front of an existing 1st floor up and over bedroom extension

Have your say

Your comment matters. Councils must consider every representation that raises material planning considerations.

Write a comment