← Back to Sheffield City Council
Application
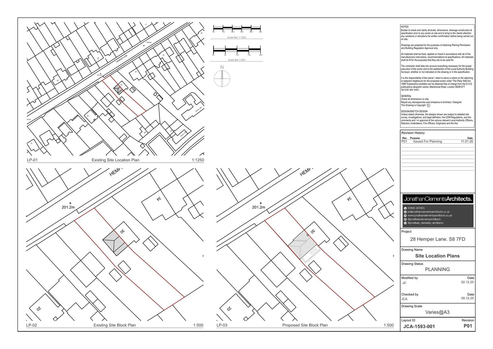
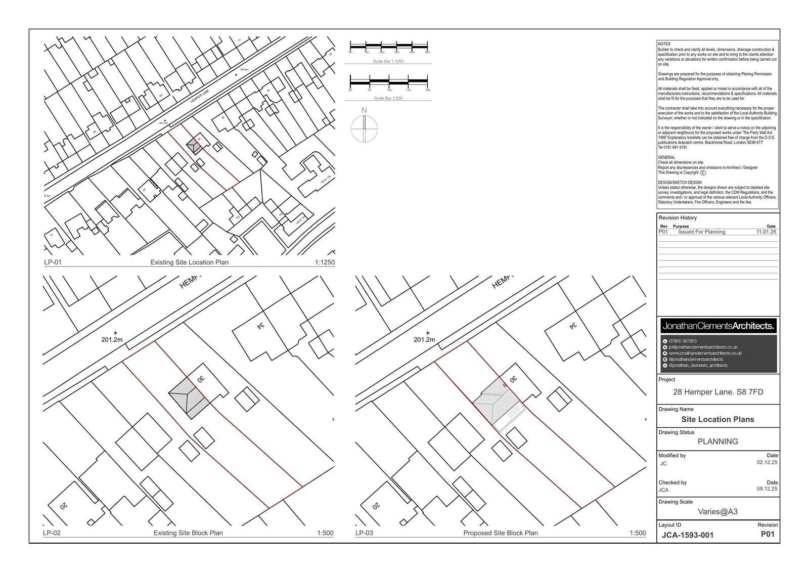
26/00103/FUL
Sheffield City Council · IDOX
Status
Awaiting decision
Received
23 days ago
New dwellings
n/a
What you can do
Take Action
Make your voice heard. Authorities need to hear from people who support new homes.
Full Proposal
Erection of two-storey side extension and single-storey rear extension to dwellinghouse
Detail pages
- View live detail on council site
- No archived detail page available.
Documents
260111_28 hemper lane_p01_site plans
Location plan
Archived copy
· Council link
Applicationformredacted
Application Form
Not downloaded
· Council link
Existing/proposed plans & elevations
Application (Drawings)
Archived copy
· Council link
Neighbour Notification Details
Neighbour Notification Details
Not downloaded
· Council link