← Sheffield City Council

Status

Awaiting decision House extension
Received
Last month
New homes
0

Full proposal

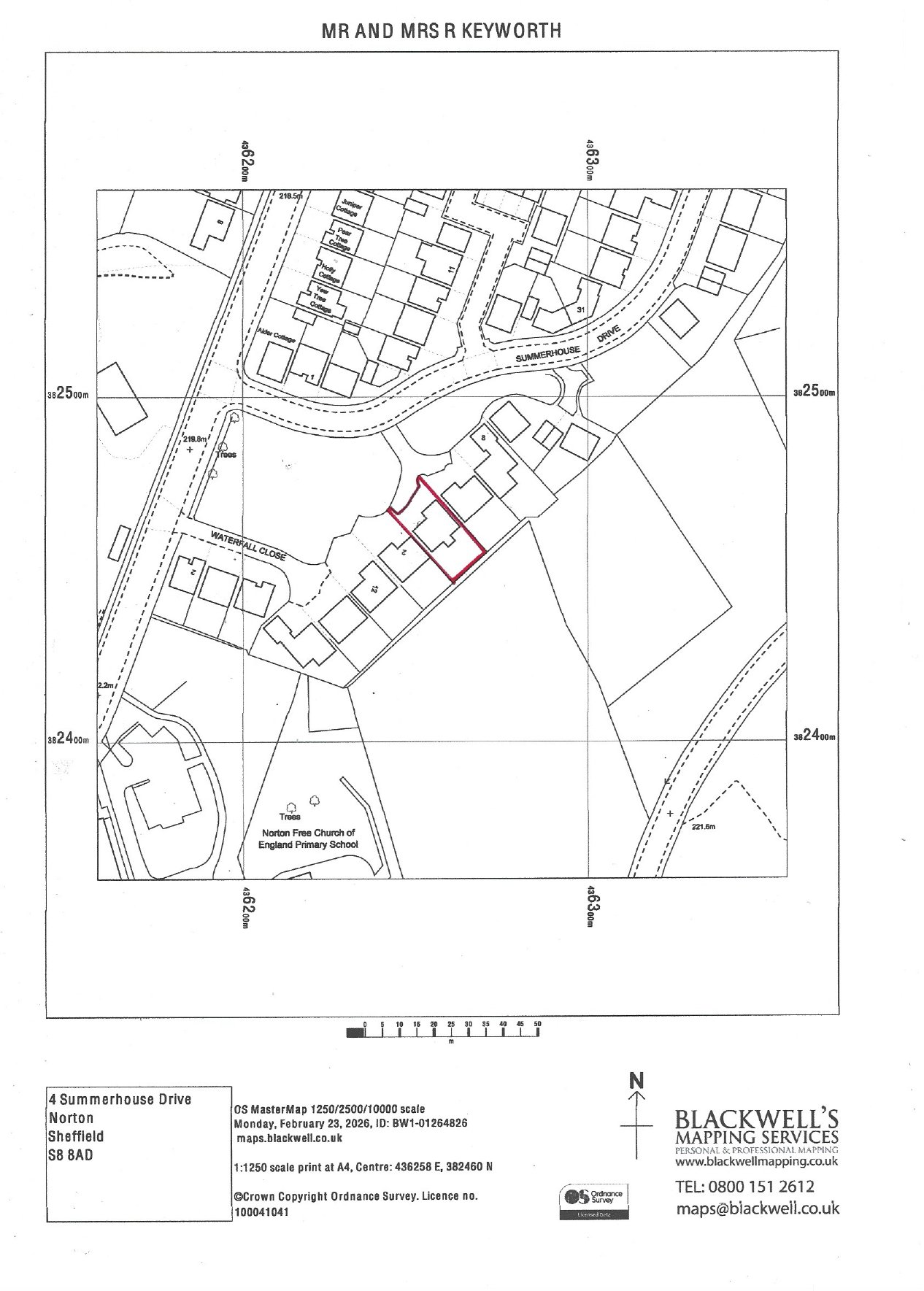
Single-storey rear extension - the extension will be 4.5 metres from the rear of the original dwellinghouse, ridge height no more than 3.55 metres and height to the eaves of 2.7 metres

Documents

Applicationformredacted
Application Form
Not yet archived · Original link
Block plan
Application (Drawings)
Not yet archived · Original link
Existing plans and elevations
Application (Drawings)
Not yet archived · Original link
Neighbour Notification Details
Neighbour Notification Details
Not yet archived · Original link
Application (Drawings)
Archived · Original link
Application (Drawings)
Archived · Original link

Have your say

Your comment matters. Councils must consider every representation that raises material planning considerations.

Write a comment