← Eryri / Snowdonia National Park Authority

Status

Registered New housing
Received
Last month
New homes
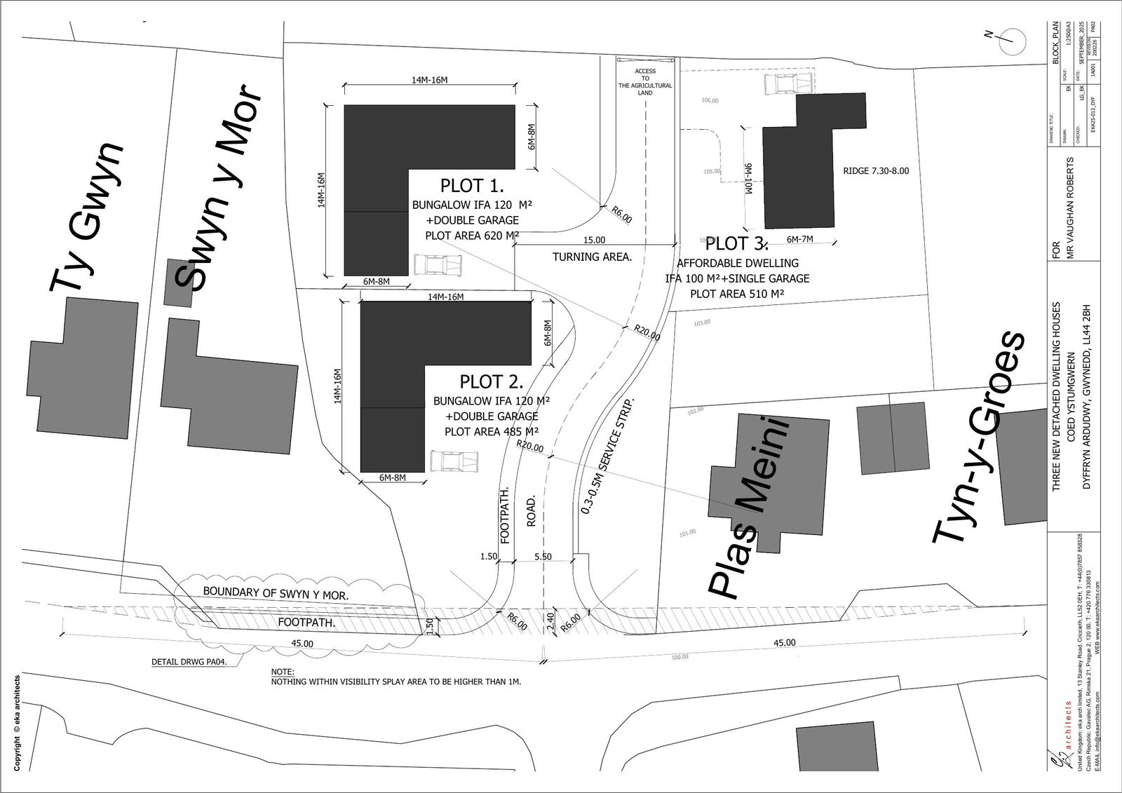
3

Full proposal

Outline Application for the erection of 3 dwellings with integral garages (2 open market and 1 affordable), and formation of new vehicular access on to the A496

Documents

AE
Uncategorised
Archived · Original link
C2
Uncategorised
Archived · Original link
Uncategorised
Archived · Original link
E1
Uncategorised
Archived · Original link
FF
Uncategorised
Archived · Original link
LL
Uncategorised
Archived · Original link

Have your say

Your comment matters. Councils must consider every representation that raises material planning considerations.

Write a comment