← Solihull Metropolitan Borough Council

Status

Awaiting decision House extension
Received
Last month
New homes
0

Full proposal

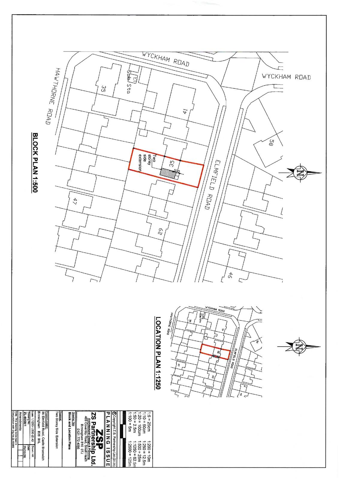
Demolition of garage and erection of two storey side extension.

Documents

Application Form
Archived · Original link
Drawing
Archived · Original link
Drawing
Archived · Original link
Correspondence
Archived · Original link
Drawing
Archived · Original link
Drawing
Archived · Original link
SMBC - DRAINAGE & LLFA
Consultee Comment
Not yet archived · Original link

Have your say

Your comment matters. Councils must consider every representation that raises material planning considerations.

Write a comment