← South Cambridgeshire District Council

Status

Awaiting decision New housing
Received
07 Oct 2025
New homes
1

Full proposal

Erection of 1 No. dwelling.

Documents

16 NEALE CLOSE
Third Party Comments
Not yet archived · Original link
20 NEALE CLOSE
Third Party Comments
Not yet archived · Original link
23 NEALE CLOSE
Third Party Comments
Not yet archived · Original link
28 NEALE CLOSE
Third Party Comments
Not yet archived · Original link
ACKNOWLEDGEMENT LETTER
Application Officer Correspondence
Not yet archived · Original link
ADDITIONAL COMMENTS NATURAL ENGLAND
Consultee Comments
Not yet archived · Original link
ADDITIONAL COMMENTS NATURAL ENGLAND
Consultee Comments
Not yet archived · Original link
APPLICATION FORM - NO PERSONAL INFO
Application Information
Not yet archived · Original link
ATTACHMENT SUMMARY FROM PORTAL
Attachment Summary
Not yet archived · Original link
CAMBRIDGESHIRE HIGHWAYS
Consultee Comments
Not yet archived · Original link
DESIGN AND ACCESS STATEMENT FINAL
Application Survey / Assessment / Statement
Not yet archived · Original link
DRAINAGE
Consultee Comments
Not yet archived · Original link
ECOLOGY
Consultee Comments
Not yet archived · Original link
ENVIRONMENTAL QUALITY AND GROWTH
Consultee Comments
Not yet archived · Original link
EOT REQUEST
Extension of Time Request
Not yet archived · Original link
EOT REQUEST
Extension of Time Request
Not yet archived · Original link
EOT REQUEST
Extension of Time Request
Not yet archived · Original link
EXISTING PHOTOS
Drawings
Not yet archived · Original link
Drawings
Archived · Original link
FEE CALCULATION
Application Information
Not yet archived · Original link
FILE COPY OF AMENDMENT LETTER
Application Officer Correspondence
Not yet archived · Original link
LOCAL HIGHWAY AUTHORITY
Consultee Comments
Not yet archived · Original link
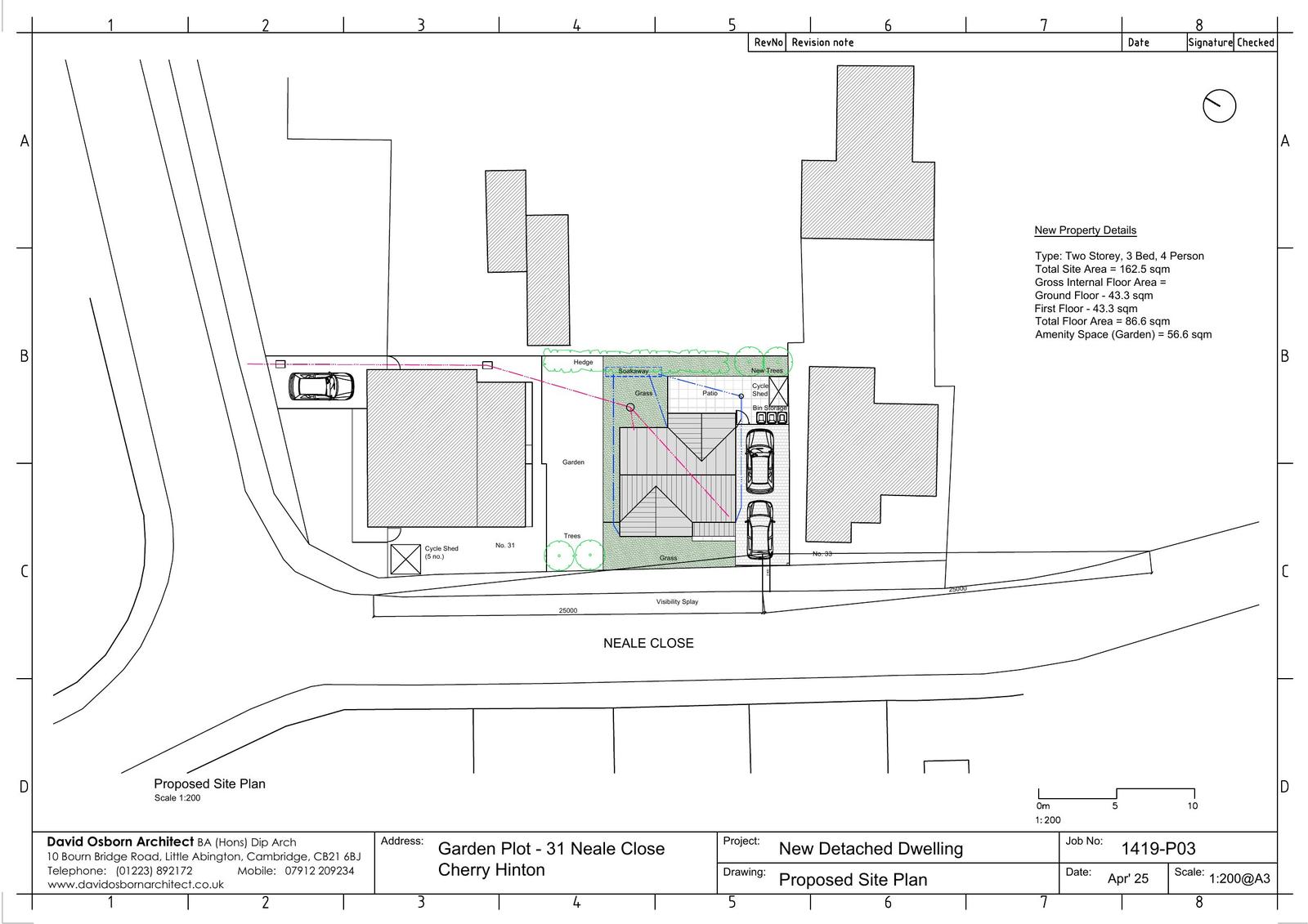
LOCATION PLAN
Drawings
Not yet archived · Original link
MAP OF NOTIFIED NEIGHBOURS
Neighbour/Consultee Notification List
Not yet archived · Original link
NATURAL ENGLAND
Consultee Comments
Not yet archived · Original link
PLANNING STATEMENT FINAL
Application Survey / Assessment / Statement
Not yet archived · Original link
PRELIMINARY ECOLOGICAL APPRAISAL WITH BNG
Application Survey / Assessment / Statement
Not yet archived · Original link
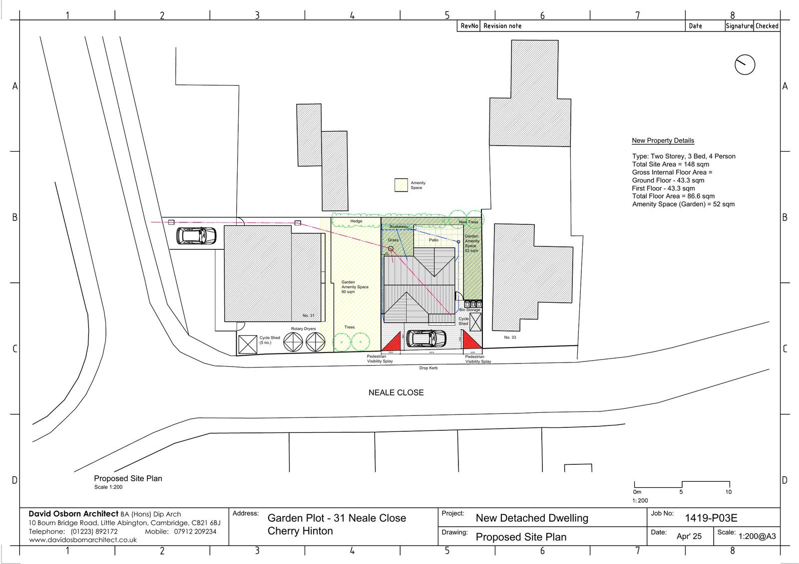
PROPOSED ELEVATIONS AND PLANS
Drawings
Not yet archived · Original link
PROPOSED ELEVATIONS AND PLANS -AMENDED
Drawings
Not yet archived · Original link
PROPOSED FRONT VISUAL
Drawings
Not yet archived · Original link
PROPOSED REAR VISUAL
Drawings
Not yet archived · Original link
Drawings
Archived · Original link
SMALL SITES BNG METRIC
Application Information
Not yet archived · Original link

Have your say

Your comment matters. Councils must consider every representation that raises material planning considerations.

Write a comment